Aller au contenu principal
Accueil
Toggle menu
Me connecter
  • Accueil
  • Rechercher
    • Symptômes et dommages sur les plantes
    • Culture
    • Insectes et autres invertébrés
    • Mauvaises herbes et autres plantes
    • Virus et viroïdes
    • Champignons
    • Nématodes
    • Bactéries et phytoplasmes
  • Identifier
  • Glossaire
  • Galerie d'images

Galerie d'images

  1. Accueil
  2. Galerie d'images
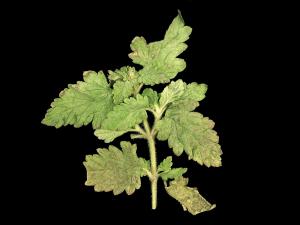
Verveines - Blanc (Oidium cichoracearum)
Verveines - Blanc (Oidium cichoracearum)

Verveines - Blanc

À la face supérieure des feuilles de verveine cultivée en serre, présence d'un jaunissement et d’une coloration pourpre à noire du limbe. Certaines feuilles ont plusieurs tach...
Image Contenu lié à l’Image
Verveines - Virus de la tache nécrotique de l'impatiente (INSV)
Verveines - Virus de la tache nécrotique de l'impatiente (INSV)

Verveines - Virus de la tache nécrotique de l'impatiente

Les jeunes feuilles de verveine présentent des taches ou zones irrégulières vert pâle à jaunes et de minuscules taches brunes et sèches entre les nervures. Sur la feuille plus...
Image Contenu lié à l’Image
Verveines - Virus de la tache nécrotique de l'impatiente (INSV)
Verveines - Virus de la tache nécrotique de l'impatiente (INSV)

Verveines - Virus de la tache nécrotique de l'impatiente

Des feuilles de verveine présentent de petites taches brunes qui tendent à se regrouper pour former de larges plages brunes. Une brûlure de la marge des feuilles est également...
Image Contenu lié à l’Image
Verveines - Virus de la tache nécrotique de l'impatiente (INSV)
Verveines - Virus de la tache nécrotique de l'impatiente (INSV)

Verveines - Virus de la tache nécrotique de l'impatiente

Une jeune feuille de verveine présente des taches ou zones irrégulières vert pâle à jaunes et de minuscules taches brunes et sèches entre les nervures. Sur la feuille plus âgé...
Image Contenu lié à l’Image
Verveines - Virus de la tache nécrotique de l'impatiente (INSV)
Verveines - Virus de la tache nécrotique de l'impatiente (INSV)

Verveines - Virus de la tache nécrotique de l'impatiente

Une vue rapprochée des feuilles terminales de verveine montre quelques taches brun rougeâtre sur le limbe et une brûlure de la marge. Les tests de laboratoire ont révélé la pr...
Image Contenu lié à l’Image
Verveines - Virus de la tache nécrotique de l'impatiente (INSV)
Verveines - Virus de la tache nécrotique de l'impatiente (INSV)

Verveines - Virus de la tache nécrotique de l'impatiente

Des plants de verveine montrent des jeunes feuilles avec des taches ou zones irrégulières vert pâle à jaunes et de minuscules taches brunes et sèches entre les nervures. Sur l...
Image Contenu lié à l’Image
Verveines - Virus de la tache nécrotique de l'impatiente (INSV)
Verveines - Virus de la tache nécrotique de l'impatiente (INSV)

Verveines - Virus de la tache nécrotique de l'impatiente

Des feuilles de verveine présentent des taches brun rougeâtre localisées essentiellement à la marge. Elles se regroupent pour former une brûlure marginale. Les tests de labora...
Image Contenu lié à l’Image
Verveines - Virus de la tache nécrotique de l'impatiente (INSV)
Verveines - Virus de la tache nécrotique de l'impatiente (INSV)

Verveines - Virus de la tache nécrotique de l'impatiente

Une vue rapprochée des feuilles de verveine montre des taches brun rougeâtre localisées essentiellement à la marge. Elles se regroupent pour former une brûlure marginale. Les ...
Image Contenu lié à l’Image
Verveines - Virus de la tache nécrotique de l'impatiente (INSV)
Verveines - Virus de la tache nécrotique de l'impatiente (INSV)

Verveines - Virus de la tache nécrotique de l'impatiente

Une vue rapprochée des feuilles de verveine montre des taches brun rougeâtre localisées essentiellement à la marge. Elles se regroupent pour former une brûlure marginale. Les ...
Image Contenu lié à l’Image
Verveines - Virus de la tache nécrotique de l'impatiente (INSV)
Verveines - Virus de la tache nécrotique de l'impatiente (INSV)

Verveines - Virus de la tache nécrotique de l'impatiente

Une feuille de verveine montre des taches brun rougeâtre localisées essentiellement à la marge. Elles se regroupent pour former une brûlure marginale. Les tests de laboratoire...
Image Contenu lié à l’Image
Vesce jargeau(Vicia cracca)_2
Vesce jargeau(Vicia cracca)_2

Vesce jargeau

Image Contenu lié à l’Image
Vesce jargeau(Vicia cracca)_15
Vesce jargeau(Vicia cracca)_15

Vesce jargeau

Image Contenu lié à l’Image
Vesce jargeau(Vicia cracca)_27
Vesce jargeau(Vicia cracca)_27

Vesce jargeau

Image Contenu lié à l’Image
Vesce jargeau(Vicia cracca)_9
Vesce jargeau(Vicia cracca)_9

Vesce jargeau

Image Contenu lié à l’Image
Vesce jargeau(Vicia cracca)_3
Vesce jargeau(Vicia cracca)_3

Vesce jargeau

Image Contenu lié à l’Image
Vesce jargeau(Vicia cracca)_16
Vesce jargeau(Vicia cracca)_16

Vesce jargeau

Image Contenu lié à l’Image
Vesce jargeau(Vicia cracca)_28
Vesce jargeau(Vicia cracca)_28

Vesce jargeau

Image Contenu lié à l’Image
Vesce jargeau(Vicia cracca)_10
Vesce jargeau(Vicia cracca)_10

Vesce jargeau

Image Contenu lié à l’Image
Vesce jargeau(Vicia cracca)_22
Vesce jargeau(Vicia cracca)_22

Vesce jargeau

Image Contenu lié à l’Image
Vesce jargeau(Vicia cracca)_4
Vesce jargeau(Vicia cracca)_4

Vesce jargeau

Image Contenu lié à l’Image
Vesce jargeau(Vicia cracca)_17
Vesce jargeau(Vicia cracca)_17

Vesce jargeau

Image Contenu lié à l’Image
Vesce jargeau(Vicia cracca)_29
Vesce jargeau(Vicia cracca)_29

Vesce jargeau

Image Contenu lié à l’Image
Vesce jargeau(Vicia cracca)_11
Vesce jargeau(Vicia cracca)_11

Vesce jargeau

Image Contenu lié à l’Image
Vesce jargeau(Vicia cracca)_23
Vesce jargeau(Vicia cracca)_23

Vesce jargeau

Image Contenu lié à l’Image
Vesce jargeau(Vicia cracca)_5
Vesce jargeau(Vicia cracca)_5

Vesce jargeau

Image Contenu lié à l’Image
Vesce jargeau(Vicia cracca)_18
Vesce jargeau(Vicia cracca)_18

Vesce jargeau

Image Contenu lié à l’Image
Vesce jargeau(Vicia cracca)_12
Vesce jargeau(Vicia cracca)_12

Vesce jargeau

Image Contenu lié à l’Image
Vesce jargeau(Vicia cracca)_24
Vesce jargeau(Vicia cracca)_24

Vesce jargeau

Image Contenu lié à l’Image
Vesce jargeau(Vicia cracca)_6
Vesce jargeau(Vicia cracca)_6

Vesce jargeau

Image Contenu lié à l’Image
Vesce jargeau(Vicia cracca)_19
Vesce jargeau(Vicia cracca)_19

Vesce jargeau

Image Contenu lié à l’Image
Vesce jargeau(Vicia cracca)_1
Vesce jargeau(Vicia cracca)_1

Vesce jargeau

Image Contenu lié à l’Image
Vesce jargeau(Vicia cracca)_13
Vesce jargeau(Vicia cracca)_13

Vesce jargeau

Image Contenu lié à l’Image
  • Afficher plus
Logo IRIIS
L’outil IRIIS est enrichi par le MAPAQ
et ses collaborateurs
Liens 

 À propos
 Fournir des images
 Crédits photo
 Glossaire
 Conditions d'utilisation
 Admin

Contact 

Téléphone : 418 523-5411
Sans frais : 1 888 535-2537
Télécopieur : 418 644-5944
Courriel : iriisphytoprotection@craaq.qc.ca

Adresse 

Édifice Delta 1
2875, boulevard Laurier, 9e étage

Québec (Québec) G1V 2M2
Canada

Propulsé par craaq

Ce site est optimisé pour Mozilla Firefox et Google Chrome

© CRAAQ, 2023 Tous droits réservés

       
sfy39587stp18
Drupal 9 Appliance - Powered by TurnKey Linux