Impatiens necrotic spot virus (INSV)
Description: Des feuilles de verveine présentent de petites taches brunes qui tendent à se regrouper pour former de larges plages brunes. Une brûlure de la marge des feuilles est également visible. Les tests de laboratoire ont révélé la présence du virus de la tache nécrotique de l'impatiente (INSV).
Crédit photo: Laboratoire d'expertise et de diagnostic en phytoprotection - MAPAQ
Légende: Taches et brunissement sur feuilles de verveine
Description: Une vue rapprochée des feuilles terminales de verveine montre quelques taches brun rougeâtre sur le limbe et une brûlure de la marge. Les tests de laboratoire ont révélé la présence du virus de la tache nécrotique de l'impatiente (INSV).
Crédit photo: Laboratoire d'expertise et de diagnostic en phytoprotection - MAPAQ
Légende: Taches et brûlure marginale sur feuilles de verveine
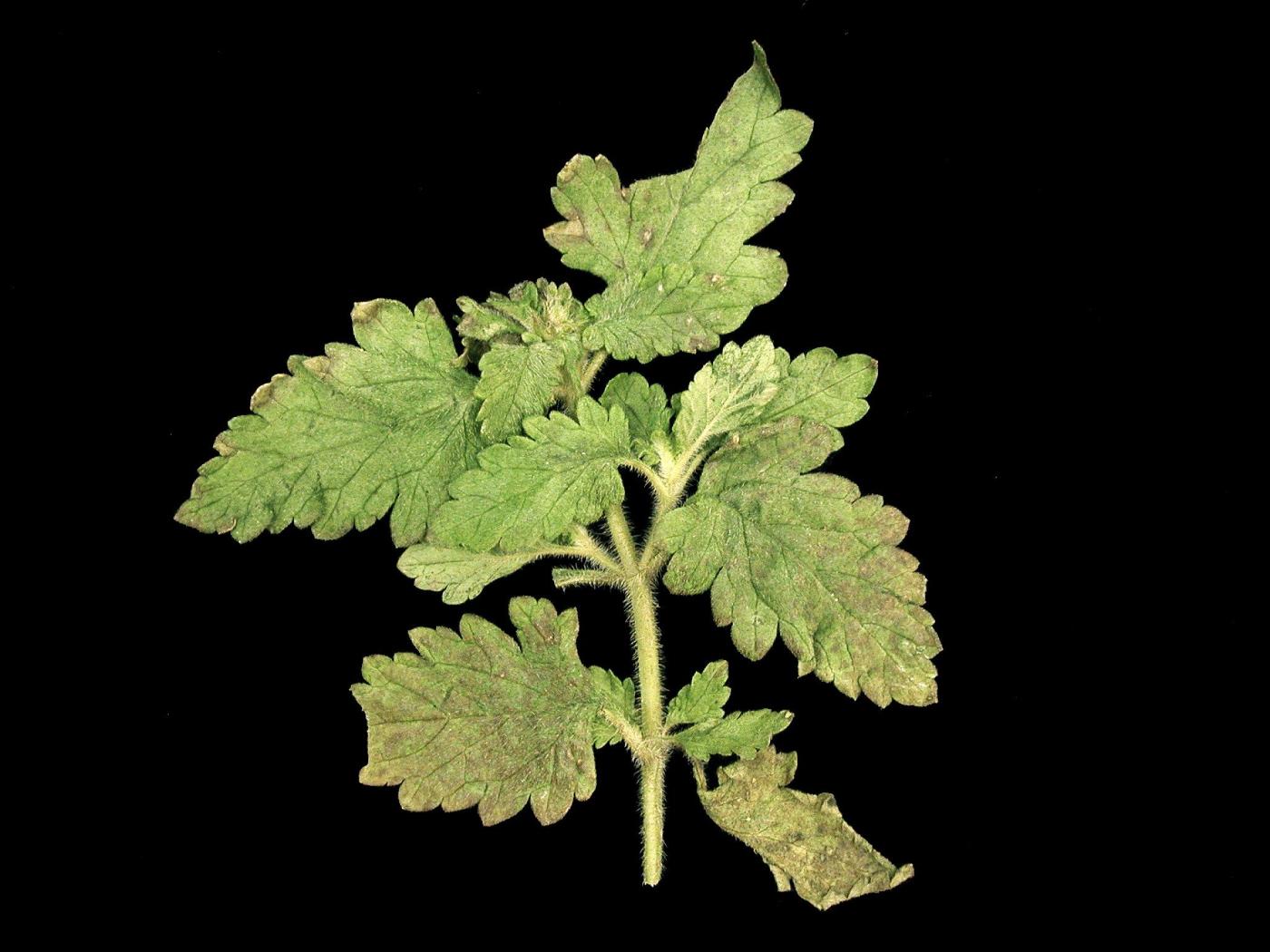
Description: Des feuilles de verveine présentent des taches brun rougeâtre localisées essentiellement à la marge. Elles se regroupent pour former une brûlure marginale. Les tests de laboratoire ont révélé la présence du virus de la tache nécrotique de l'impatiente (INSV).
Crédit photo: Laboratoire d'expertise et de diagnostic en phytoprotection - MAPAQ
Légende: Taches et brûlure marginale sur feuilles de verveine
Description: Une vue rapprochée des feuilles de verveine montre des taches brun rougeâtre localisées essentiellement à la marge. Elles se regroupent pour former une brûlure marginale. Les tests de laboratoire ont révélé la présence du virus de la tache nécrotique de l'impatiente (INSV).
Crédit photo: Laboratoire d'expertise et de diagnostic en phytoprotection - MAPAQ
Légende: Taches et brûlure marginale sur feuilles de verveine
Description: Une vue rapprochée des feuilles de verveine montre des taches brun rougeâtre localisées essentiellement à la marge. Elles se regroupent pour former une brûlure marginale. Les tests de laboratoire ont révélé la présence du virus de la tache nécrotique de l'impatiente (INSV).
Crédit photo: Laboratoire d'expertise et de diagnostic en phytoprotection - MAPAQ
Légende: Taches et brûlure marginale sur feuilles de verveine
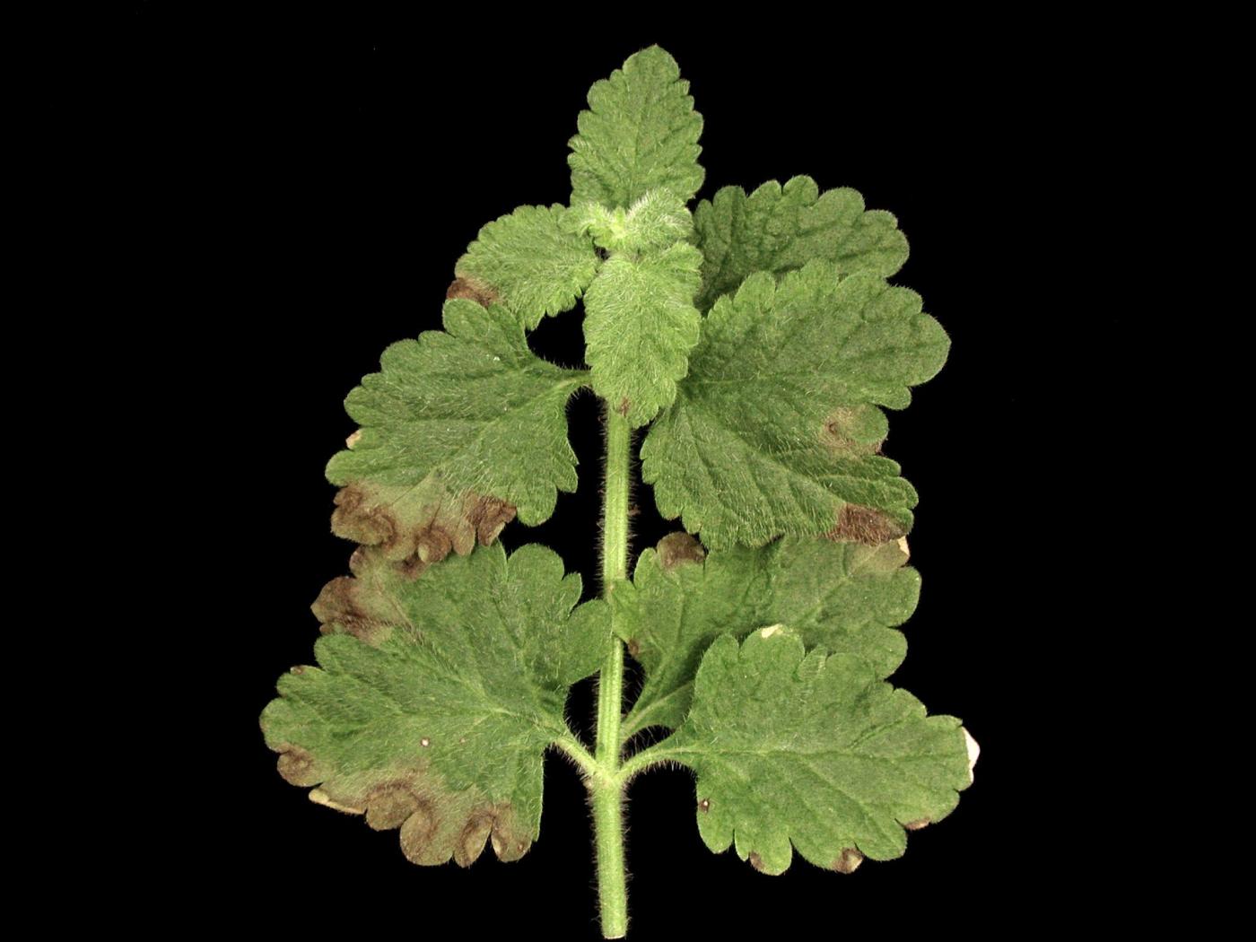
Description: Une feuille de verveine montre des taches brun rougeâtre localisées essentiellement à la marge. Elles se regroupent pour former une brûlure marginale. Les tests de laboratoire ont révélé la présence du virus de la tache nécrotique de l'impatiente (INSV).
Crédit photo: Laboratoire d'expertise et de diagnostic en phytoprotection - MAPAQ
Légende: Taches et brûlure marginale sur feuille de verveine
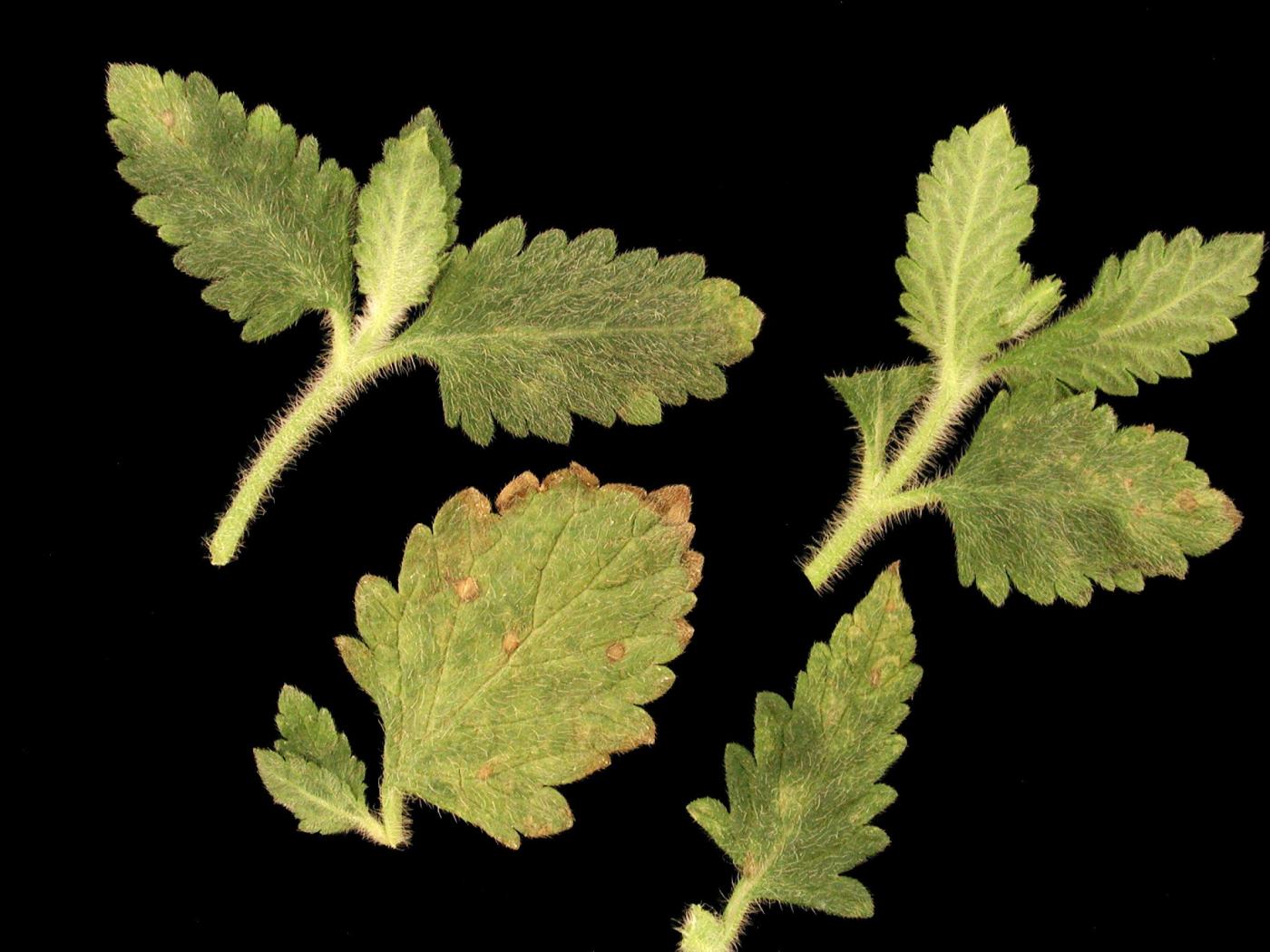
Description: Les jeunes feuilles de verveine présentent des taches ou zones irrégulières vert pâle à jaunes et de minuscules taches brunes et sèches entre les nervures. Sur la feuille plus âgée, présence d’une brûlure marginale et de quelques taches brunes et sèches sur le limbe. Les tests de laboratoire ont révélé la présence du virus de la tache nécrotique de l'impatiente (INSV).
Crédit photo: Laboratoire d'expertise et de diagnostic en phytoprotection - MAPAQ
Légende: Taches, brûlure et jaunissement sur feuilles de verveine
Description: Une jeune feuille de verveine présente des taches ou zones irrégulières vert pâle à jaunes et de minuscules taches brunes et sèches entre les nervures. Sur la feuille plus âgée, présence d’une brûlure marginale et de quelques taches brunes et sèches sur le limbe. Les tests de laboratoire ont révélé la présence du virus de la tache nécrotique de l'impatiente (INSV).
Crédit photo: Laboratoire d'expertise et de diagnostic en phytoprotection - MAPAQ
Légende: Taches, brûlure et jaunissement sur feuilles de verveine
Description: Des plants de verveine montrent des jeunes feuilles avec des taches ou zones irrégulières vert pâle à jaunes et de minuscules taches brunes et sèches entre les nervures. Sur les feuilles plus âgées, présence d’une brûlure marginale et de quelques taches brunes et sèches sur le limbe. Les tests de laboratoire ont révélé la présence du virus de la tache nécrotique de l'impatiente (INSV).
Crédit photo: Michel Sénécal - MAPAQ
Légende: Taches, brûlure et jaunissement sur feuilles de verveine
Verveines - Virus de la tache nécrotique de l'impatiente (INSV)
Verveines - Virus de la tache nécrotique de l'impatiente (INSV)
Verveines - Virus de la tache nécrotique de l'impatiente (INSV)
Verveines - Virus de la tache nécrotique de l'impatiente (INSV)
Verveines - Virus de la tache nécrotique de l'impatiente (INSV)
Verveines - Virus de la tache nécrotique de l'impatiente (INSV)
Verveines - Virus de la tache nécrotique de l'impatiente (INSV)
Verveines - Virus de la tache nécrotique de l'impatiente (INSV)
Verveines - Virus de la tache nécrotique de l'impatiente (INSV)
Description

Le virus des taches nécrotiques de l'impatiente (INSV) et le virus de la maladie bronzée de la tomate (TSWV) sont des virus très proches (Tospovirus) qui causent des symptômes similaires. L’INSV affecte essentiellement les plantes ornementales et quelques légumes (poivron, tomate, laitue, etc.) tandis que le TSWV affecte surtout les légumes. L’INSV est un virus important qui peut infecter plus de 300 espèces de plantes réparties dans au moins 50 familles. Il infecte également les mauvaises herbes. La floriculture est une source majeure de cette maladie en serre au Canada. Ce virus est observé principalement en serre et en champ dans les pépinières de production. En général, chez les plantes ornementales, l’INSV est fréquent et sévère. Les pertes de rendement sont souvent liées à la qualité esthétique des plantes. Les plants infectés en jeune âge ont des symptômes plus sévères que les plants infectés plus tard dans leur développement. À titre indicatif, certains cultivars de pétunia sont de bonnes plantes indicatrices de la présence des virus INSV et TSWV. Ces cultivars de pétunia attirent les thrips, mais leur permettent rarement de compléter leur cycle de développement. Le poinsettia, la rose, le phlox, la lobélie, etc. sont parmi les quelques plantes ornementales qui ne sont pas sensibles au Tospovirus. Certaines plantes sont infectées, mais demeurent asymptomatiques pendant plusieurs mois avant de les exprimer (ex. : cyclamen de Perse). L’impatiente est très sensible aux INSV et TSWV. Elle est facilement infectée et exprime très rapidement des symptômes. La propagation de la maladie est fulgurante.

Cycle vital

Deux des plus grands réservoirs du virus INSV incluent les plantes ornementales vivaces et les mauvaises herbes. Ce virus et ses vecteurs sont fréquemment propagés lors du transport des plantes ornementales et des transplants, ce qui explique la grande diversité mondiale de plantes liée à ce virus. Le virus est transmis essentiellement par le thrips des petits fruits (Frankliniella occidentalis) et occasionnellement par le thrips du tabac (F. fresca). Seules les larves peuvent acquérir l’INSV d’une plante infectée en se nourrissant au moins 15 minutes sur celle-ci. La transmission n’est réalisée que par l’adulte en s’alimentant sur les feuilles ou les fleurs. La période d’incubation du virus dans les thrips varie de 4 à 10 jours. Les thrips sont au maximum de leur capacité infectieuse 22 à 30 jours après avoir acquis le virus et demeurent porteurs toute leur vie. Chez les thrips, le virus ne se transmet pas d’une génération à l’autre. Le virus est parfois transmis par le bouturage de plantes infectées, mécaniquement par les outils de travail et rarement par les semences.

Symptômes et dommages

Les symptômes sont très variables et sont fonction de la souche de virus, de la plante, du stade de développement de la plante au moment de l’infection et des conditions environnementales. Parmi les symptômes les plus fréquemment observés, il y a :
 
Feuille : présence de taches de différentes teintes avec une marge foncée ou non, de taches en anneaux, de mosaïques, de marbrures, de lignes ou de stries de différentes teintes, en zigzag ou non, et des nervures décolorées, foncées ou nécrotiques. Les taches peuvent débuter à l’apex, à la marge ou longer les nervures. Le feuillage est parfois jaune, déformé et gaufré. Flétrissement, dépérissement et chute des feuilles. Le pétiole peut brunir et dépérir.
 
Fleur : présence d’anomalies de coloration, de taches ou de stries jaunes à brunes. Déformation, flétrissement et chute des fleurs.
 
Tige : présence d’anomalies de coloration, de taches ou de stries jaunes à brunes ou de lésions nécrotiques brunes à noires.
 
Plant : faible croissance, rabougrissement, nanisme et flétrissement. Les plants meurent occasionnellement.

Ne pas confondre

Les symptômes causés par le virus INSV peuvent être confondus avec ceux causés par le virus TSWV. Un test de laboratoire est requis pour les distinguer. Ils peuvent également être confondus avec des carences minérales, une phytotoxicité par des herbicides phytohormonaux, etc.

Méthodes de lutte

La lutte contre l’INSV est très difficile. Les mesures d’hygiène doivent être strictes. Il faut utiliser des semences et des plants exempts de virus pour briser la relation insecte-maladie, assurer une lutte efficace contre les mauvaises herbes (champ, intérieur et extérieur des serres), éliminer et détruire les plants infectés et les résidus de culture. Utiliser des variétés résistantes lorsqu’elles sont disponibles. Dépister régulièrement chaque semaine, particulièrement les boutures, les plants mères, les nouveaux arrivages de plantes et les plantes très sensibles.
 
En champ, l’INSV hiverne dans les résidus de culture infectée et les mauvaises herbes. La dispersion de la maladie par les thrips infectés, sur les plantes saines et les mauvaises herbes, se fait sur une courte période au printemps. Selon la culture, il est préférable de décaler la production au champ pour éviter cette période. La rotation des cultures avec des plantes non hôtes (ex. : poinsettia, rose, phlox, etc.) est également efficace.
 
En serre, il est préférable de respecter un temps d’arrêt d’au moins un mois entre deux cultures et d’accroitre la température (40 °C pendant 10 à 15 jours) pour abaisser ou éliminer la population de thrips. Nettoyer et désinfecter les serres et tout le matériel utilisé (outils, plateaux, pots, sol, etc.). Des pédiluves à l’entrée des serres sont obligatoires. Installer des moustiquaires à mailles très serrées devant les entrées d’air, briser le cycle vital des thrips en appliquant au sol de la chaux hydratée ou de sulfate de cuivre, deux à trois fois par année. Dépister les thrips avec des pièges collants bleus jumelés avec des phéromones et si possible, insérer des impatientes et des pétunias qui sont d’excellentes plantes indicatrices de ce virus. Éviter de produire des plantes ornementales autour ou dans la même serre que les transplants de légumes, car elles attirent les thrips. La lutte biologique est disponible et efficace. Les traitements insecticides devraient être utilisés en dernier recours.

Références et liens

Daughtrey M. L., Wick R. L. & Peterson J. L. (Eds) (2006). Tomato Spotted Wilt and Impatiens Necrotic Spot. Dans Compendium of Flowering Potted Plant Diseases. APS Press, The American Phytopathological Society, St-Paul, Minnesota. p. 69-72.
 
Dreistadt S. H. (2001). Impatiens Necrotic Spot Virus ans Tomato Spotted Wilt Virus. Dans Integrated Pest Management for Floriculture and Nurseries. University of California, Publication 3402. p. 126-129.

http://www.globalsciencebooks.info/Online/GSBOnline/images/0712/PV_1(2)/PV_1(2)142-162o.pdf

http://ag.umass.edu/greenhouse-floriculture/fact-sheets/impatiens-necrotic-spot-virus-tomato-spotted-wilt-virus

https://pnwhandbooks.org/plantdisease/pathogen-articles/pathogens-common-many-plants/viruses-viruslike-pathogens/impatiens