Identificateur
Gérard Gilbert
Crédit photo
Laboratoire d'expertise et de diagnostic en phytoprotection - MAPAQ
Fournisseur
Jean-François Goulet
Photographe
Michel Lacroix
Légende
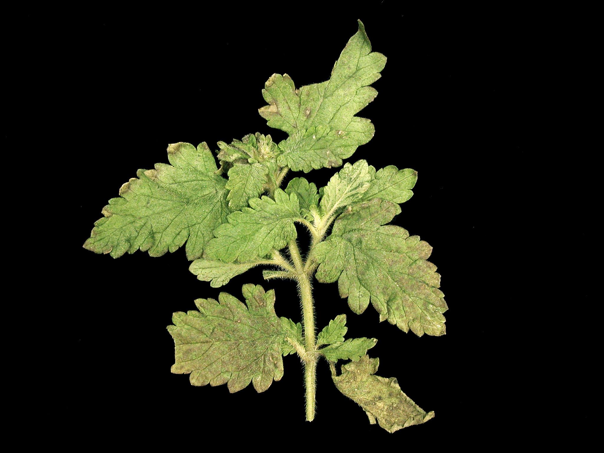
Taches et brunissement sur feuilles de verveine
OrganisationFournisseur
IQDHO
Des feuilles de verveine présentent de petites taches brunes qui tendent à se regrouper pour former de larges plages brunes. Une brûlure de la marge des feuilles est également visible. Les tests de laboratoire ont révélé la présence du virus de la tache nécrotique de l'impatiente (INSV).