Tomate - Mildiou (Phytophthora infestans)

Fournisseur

Inconnu

Photographe

Bernard Drouin

Legende

Chancre sur tige de tomate

Credit

Laboratoire d'expertise et de diagnostic en phytoprotection - MAPAQ
Tomate - Mildiou (Phytophthora infestans)

Fournisseur

Inconnu

Photographe

Bernard Drouin

Legende

Chancre sur tige de tomate

Credit

Laboratoire d'expertise et de diagnostic en phytoprotection - MAPAQ
Tomate - Mildiou (Phytophthora infestans)

Fournisseur

Dany Boudreault

Photographe

Nancy Shallow

Legende

Tache brune sur pétiole et tige de tomate

Credit

Laboratoire d'expertise et de diagnostic en phytoprotection - MAPAQ
Framboise - Oecanthus sp._1

Fournisseur

Laboratoire de diagnostic en phytoprotection

Photographe

Nathalie Laplante

Legende

Credit

MAPAQ
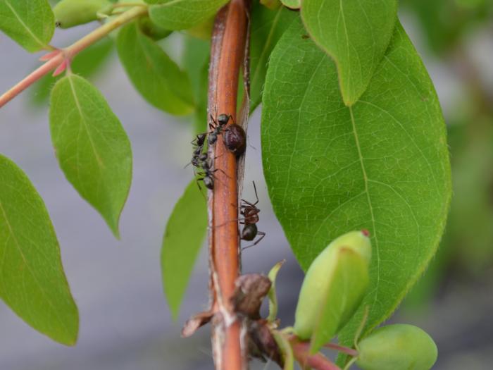
Framboise - Oecanthus sp._2

Fournisseur

Laboratoire de diagnostic en phytoprotection

Photographe

Olivier Lalonde

Legende

Credit

MAPAQ
Asperge - Mouche des semis (Delia platura)_1

Fournisseur

Laboratoire de diagnostic en phytoprotection

Photographe

Nathalie Laplante

Legende

Asperge présentant des dommages causés par la mouche des semis

Credit

Laboratoire d'expertise et de diagnostic en phytoprotection - MAPAQ
Panais - Mouche de la carotte (Psila rosae)_1

Fournisseur

Joseph Moisan-De Serres

Photographe

Inconnu

Legende

Credit

Laboratoire d'expertise et de diagnostic en phytoprotection - MAPAQ

Fournisseur

Cultur'Innov

Photographe

Caroline Turcotte

Legende

Colonie de cochenilles sous l'écorce d'un camérisier

Credit

Caroline Turcotte - MAPAQ

Fournisseur

Cultur'Innov

Photographe

Kévin Lanoue-Piché

Legende

Cochenilles sous l'écorce d'un camérisier

Credit

Kévin Lanoue-Piché - Cultur'Innov

Fournisseur

Cultur'Innov

Photographe

Kévin Lanoue-Piché

Legende

Cochenilles sous l'écorce d'un camérisier

Credit

Kévin Lanoue-Piché - Cultur'Innov
Arbres de Noël (sapins) - Cerf de Virginie

Fournisseur

MAPAQ Estrie

Photographe

MAPAQ Estrie

Legende

Sapin baumier épargné au centre

Credit

MAPAQ Estrie

Fournisseur

Kevin Lanoué

Photographe

Laurie Brown

Legende

Dommages de rongeurs sur les tiges d’argousier au printemps.

Credit

Laurie Brown - Cultur'Innov
Pomme - Coulure bactérienne (Pseudomonas syringae pv. syringae)

Fournisseur

Christian Lacroix

Photographe

Chantal Malenfant

Legende

Rougissement et fentes sur rameau de pommier

Credit

Laboratoire d'expertise et de diagnostic en phytoprotection - MAPAQ
Pomme - Coulure bactérienne (Pseudomonas syringae pv. syringae)

Fournisseur

Christian Lacroix

Photographe

Chantal Malenfant

Legende

Rougissement et fentes sur rameau de pommier

Credit

Laboratoire d'expertise et de diagnostic en phytoprotection - MAPAQ
Pomme - Coulure bactérienne (Pseudomonas syringae pv. syringae)

Fournisseur

Christian Lacroix

Photographe

Chantal Malenfant

Legende

Chancre fendu sur rameau de pommier

Credit

Laboratoire d'expertise et de diagnostic en phytoprotection - MAPAQ
Pomme - Coulure bactérienne (Pseudomonas syringae pv. syringae)

Fournisseur

Christian Lacroix

Photographe

Chantal Malenfant

Legende

Chancre fendu sur rameau de pommier

Credit

Laboratoire d'expertise et de diagnostic en phytoprotection - MAPAQ
Radis - Blessure mécanique

Fournisseur

Laboratoire de diagnostic en phytoprotection

Photographe

Bernard Drouin

Legende

Fentes horizontales

Credit

Laboratoire d'expertise et de diagnostic en phytoprotection - MAPAQ
Carotte - Manque d'eau et sécheresse

Fournisseur

Laboratoire de diagnostic en phytoprotection

Photographe

Bernard Drouin

Legende

Fente longitudinale et tissus subérisés près du collet

Credit

Laboratoire d'expertise et de diagnostic en phytoprotection - MAPAQ
Carotte - Carence en bore

Fournisseur

Laboratoire de diagnostic en phytoprotection

Photographe

Claire Fecteau

Legende

Cavité et ramollissement de la partie centrale

Credit

Laboratoire d'expertise et de diagnostic en phytoprotection - MAPAQ
Radis - Rhizoctone commun (Rhizoctonia solani)

Fournisseur

Laboratoire de diagnostic en phytoprotection

Photographe

Claire Fecteau

Legende

Fendillements

Credit

Laboratoire d'expertise et de diagnostic en phytoprotection - MAPAQ
Bleuet en corymbe - Chancre à Fusicoccum (Godronia cassandrae)

Fournisseur

Laboratoire de diagnostic en phytoprotection

Photographe

Bernard Drouin

Legende

Chancres beiges et pycnides sur tige de bleuet en corymbe

Credit

Laboratoire d'expertise et de diagnostic en phytoprotection - MAPAQ
Bleuet en corymbe - Chancre à Fusicoccum (Godronia cassandrae)

Fournisseur

Laboratoire de diagnostic en phytoprotection

Photographe

Claire Fecteau

Legende

Chancres rouges sur tiges de bleuet en corymbe

Credit

Laboratoire d'expertise et de diagnostic en phytoprotection - MAPAQ
Bleuet en corymbe - Chancre à Fusicoccum (Godronia cassandrae)

Fournisseur

Laboratoire de diagnostic en phytoprotection

Photographe

Claire Fecteau

Legende

Chancre rouge sur tige de bleuet en corymbe

Credit

Laboratoire d'expertise et de diagnostic en phytoprotection - MAPAQ
Bleuet en corymbe - Chancre à Fusicoccum (Godronia cassandrae)

Fournisseur

Laboratoire de diagnostic en phytoprotection

Photographe

Chantal Malenfant

Legende

Chancre rouge sur tige de bleuet en corymbe

Credit

Laboratoire d'expertise et de diagnostic en phytoprotection - MAPAQ
Bleuet en corymbe - Chancre à Fusicoccum (Godronia cassandrae)

Fournisseur

Laboratoire de diagnostic en phytoprotection

Photographe

Chantal Malenfant

Legende

Chancre rouge sur tige de bleuet en corymbe

Credit

Laboratoire d'expertise et de diagnostic en phytoprotection - MAPAQ
Bleuet en corymbe - Chancre à Fusicoccum (Godronia cassandrae)

Fournisseur

Laboratoire de diagnostic en phytoprotection

Photographe

Chantal Malenfant

Legende

Chancres grisâtres et pycnides sur tige de bleuet en corymbe

Credit

Laboratoire d'expertise et de diagnostic en phytoprotection - MAPAQ
Bleuet en corymbe - Chancre à Fusicoccum (Godronia cassandrae)

Fournisseur

Laboratoire de diagnostic en phytoprotection

Photographe

Chantal Malenfant

Legende

Chancres grisâtres et pycnides sur tige de bleuet en corymbe

Credit

Laboratoire d'expertise et de diagnostic en phytoprotection - MAPAQ
Bleuet en corymbe - Chancre à Fusicoccum (Godronia cassandrae)

Fournisseur

Laboratoire de diagnostic en phytoprotection

Photographe

Chantal Malenfant

Legende

Chancre grisâtre et pycnides sur tige de bleuet en corymbe

Credit

Laboratoire d'expertise et de diagnostic en phytoprotection - MAPAQ
Bleuet en corymbe - Chancre à Fusicoccum (Godronia cassandrae)

Fournisseur

Laboratoire de diagnostic en phytoprotection

Photographe

Chantal Malenfant

Legende

Chancre grisâtre et pycnides sur tige de bleuet en corymbe

Credit

Laboratoire d'expertise et de diagnostic en phytoprotection - MAPAQ