Identificateur
Joseph Moisan-De Serres
Crédit photo
Kévin Lanoue-Piché - Cultur'Innov
Fournisseur
Cultur'Innov
Photographe
Kévin Lanoue-Piché
Légende
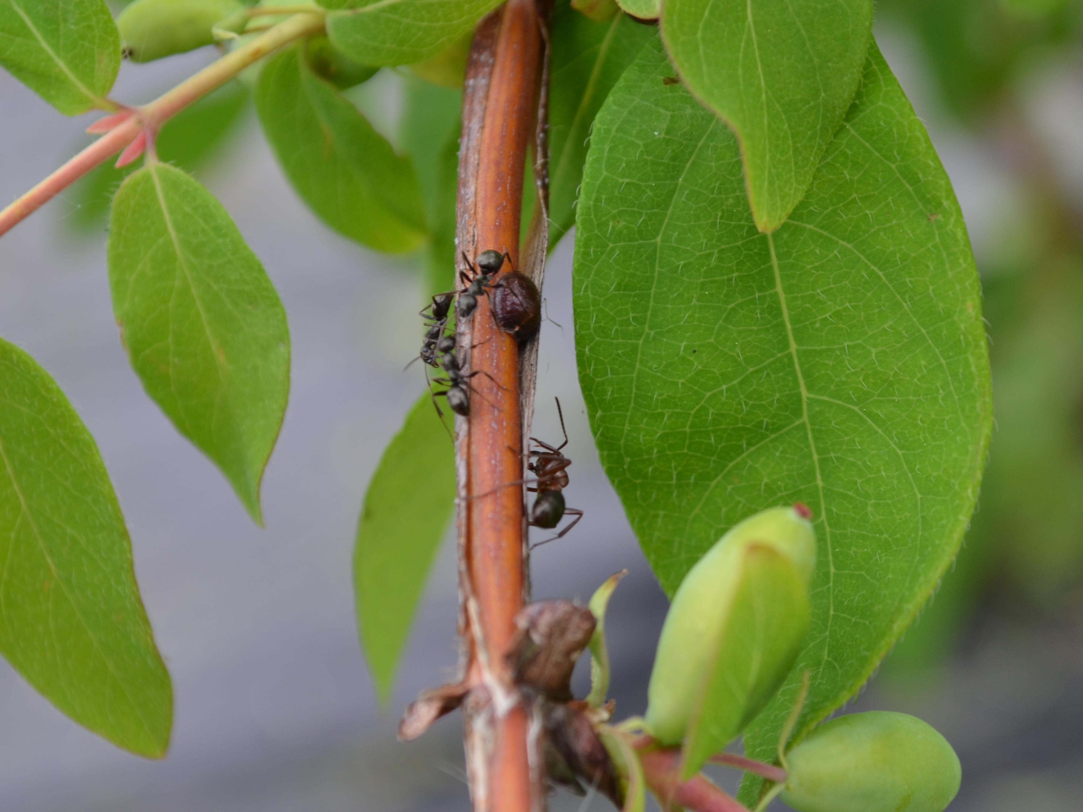
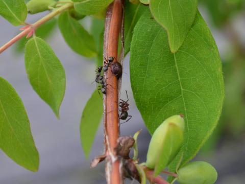
Cochenilles sous l'écorce d'un camérisier
OrganisationFournisseur
Cultur'Innov
Le miellat produit par les cochenilles attire les fourmis qui adorent ce liquide sucré. La présence de nombreuses fourmis sur des plants de camérisiers peut être un indice d'une infestation de cochenilles.