Les dommages de gel hivernal sont observés lorsque des cristaux de glace se forment dans la moelle du collet. Le système vasculaire est moins sensible au dommage par le froid et s’il n’est pas détruit, le plant peut se rétablir presque normalement. Les dommages de gel hivernal sont évalués en coupant les collets de façon longitudinale. L’intensité des dommages varie selon le degré de brunissement de la moelle (tissus internes) du collet. Un collet sain a une moelle blanche à légèrement jaunâtre. Les observations doivent se faire rapidement, car les tissus coupés s’oxydent rapidement à l’air et brunissent.
Lors d’un gel hivernal léger, les plants auront une croissance végétative presque normale, mais les symptômes se manifesteront lors de la mise à fruit qui requiert plus d’énergie. Cependant, lors d’un gel hivernal sévère, la moelle du collet peut être entièrement brun foncé à noire et le plant ne débourrera pas. Le gel hivernal est occasionnel, mais peut être sévère. Des pertes de vigueur, de rendement et de résistance face aux agents pathogènes sont observées sur les plants qui ont subi un gel hivernal. Au champ, les plants sont distribués de façon localisée et éparse.
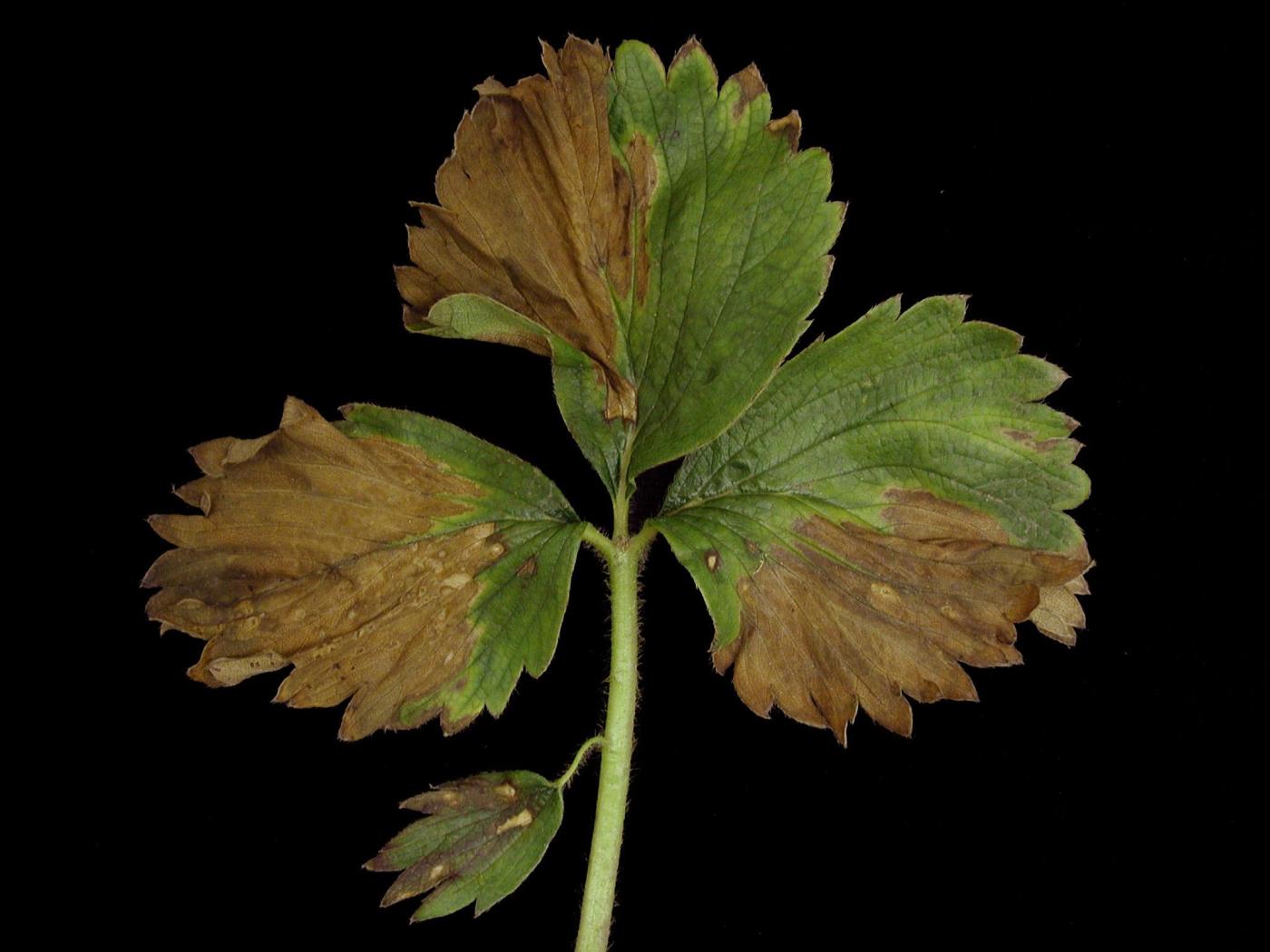
Feuille : plus petites, moins nombreuses et avec différentes anomalies de coloration (jaunissement, rougissement, brunissement). Dessèchement possible.
Fleur : moins de fleurs sur les plants affaiblis.
Fruit : d’un petit calibre.
Collet : brunissement partiel ou entier du système vasculaire et de la moelle.
Racine : faible croissance et racines brunes.
Plant : aucun débourrement ou faible croissance. Les plants affaiblis sont plus sensibles aux maladies.
Le gel hivernal peut être confondu avec des dommages de stèle rouge (Phytophthora fragariae – aucun brunissement du collet, mais plutôt une stèle rouge des racines), le pourridié phytophthoréen (Phytophthora cactorum – racines abondantes, généralement brunissement dans la partie supérieure du collet), la pourriture noire des racines (complexe fongique – racines noires, collet sans symptôme) et le flétrissement verticillien (Verticillium spp. – flétrissement et dépérissement des vieilles feuilles, collet généralement sain, mais parfois brunissement du système vasculaire).
Pour prévenir le gel hivernal dans les fraisières il faut pailler les plants lorsqu’ils sont dormants, mais avant le froid, favoriser toute action qui permet une accumulation de la neige sur les plants (brise-vent, clôtures, couvertures flottantes), un bon drainage du sol et favoriser le bon développement des fraisiers tout le long de la saison.
Bolduc R. & Paquin R. (1987). Comparaison de deux méthodes d'évaluation de la tolérance au gel du fraisier prélevé dans un sol gelé. Can. J. Plant Sci. 67(1): 343-348.
Lambert, L. 2007. Gel hivernal. Dans Guide des carences, désordres et problèmes de phytotoxicité du fraisier, du framboisier et du bleuetier. CRAAQ (Centre de référence en agriculture et agroalimentaire du Québec). p. 48-51.
Maas, J. L. (Eds) (1998). Winter Injury. Dans Compendium of Strawberry Diseases. 2e éd. APS Press. The American Phytopathological Society Press, St-Paul, Minnesota. p. 9.






