Identificateur
Michel Lacroix
Crédit photo
Laboratoire d'expertise et de diagnostic en phytoprotection - MAPAQ
Fournisseur
Laboratoire de diagnostic en phytoprotection
Photographe
Chantal Malenfant
Légende
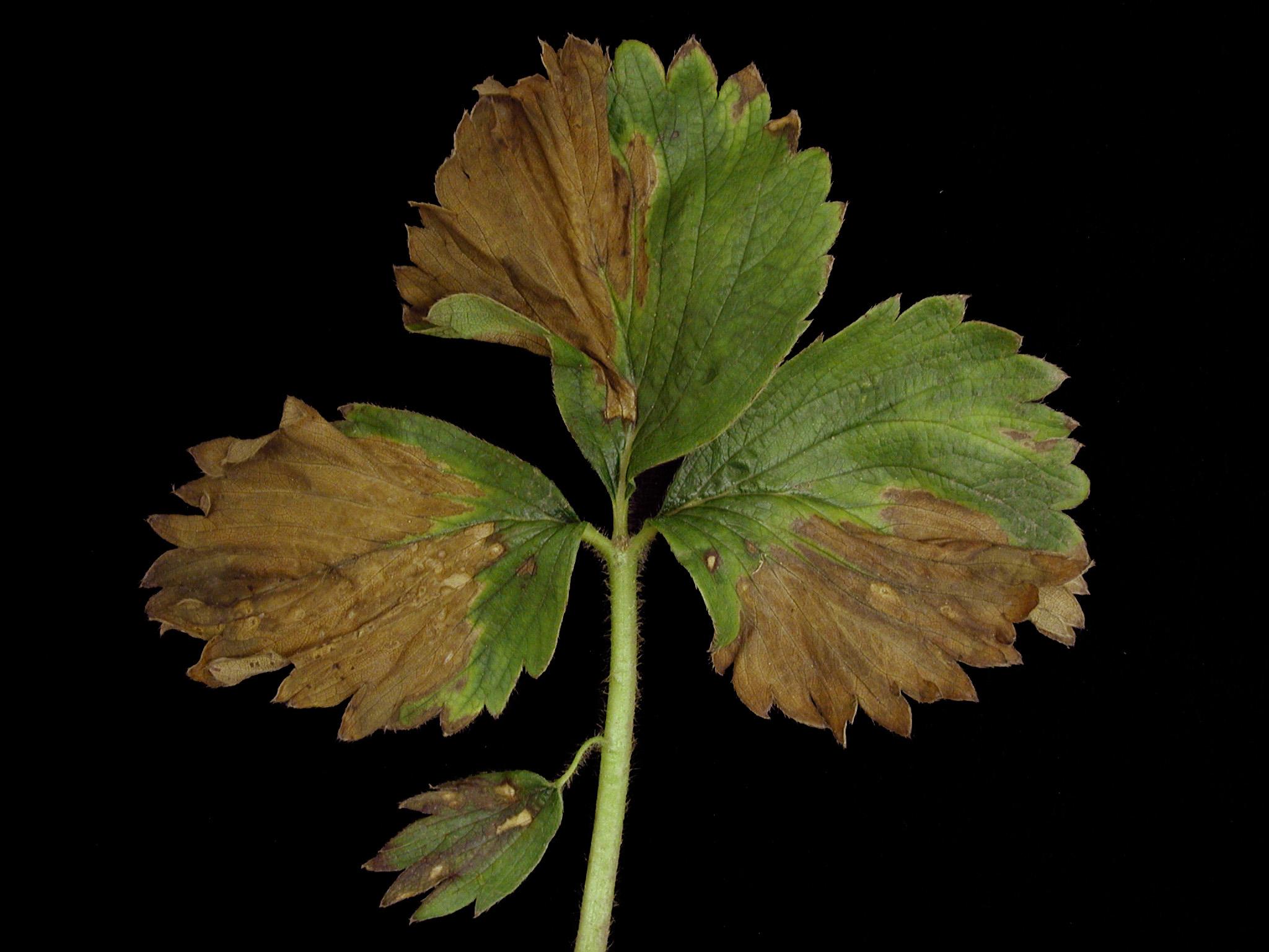
Brûlure sur feuille de fraisier
OrganisationFournisseur
Ministère de l'Agriculture, des Pêcheries et de l'Alimentation du Québec
La feuille de fraisier présente des brûlures brunes, d'une apparence sèche débutant à la marge ou près de l'apex et progressant par la suite entre les nervures. Une légère bordure jaune se situe à la base de la brûlure. Les brûlures couvrent en moyenne 25 à 30 % de la surface du limbe. La moelle des collets est entièrement brune, le système vasculaire est blanc et les racines sont blanches (non visible ici). Les tests de laboratoire se sont avérés négatifs pour la détection des champignons. La coloration brune de la moelle est un symptôme caractéristique d'un dommage par des conditions hivernales adverses. Il est plausible de croire que les brûlures foliaires soient une conséquence indirecte des dommages au collet par le gel hivernal.