Identificateur
Danielle Bernier
Crédit photo
Laboratoire d'expertise et de diagnostic en phytoprotection - MAPAQ
Fournisseur
Laboratoire de diagnostic en phytoprotection
Photographe
Chantal Malenfant
Légende
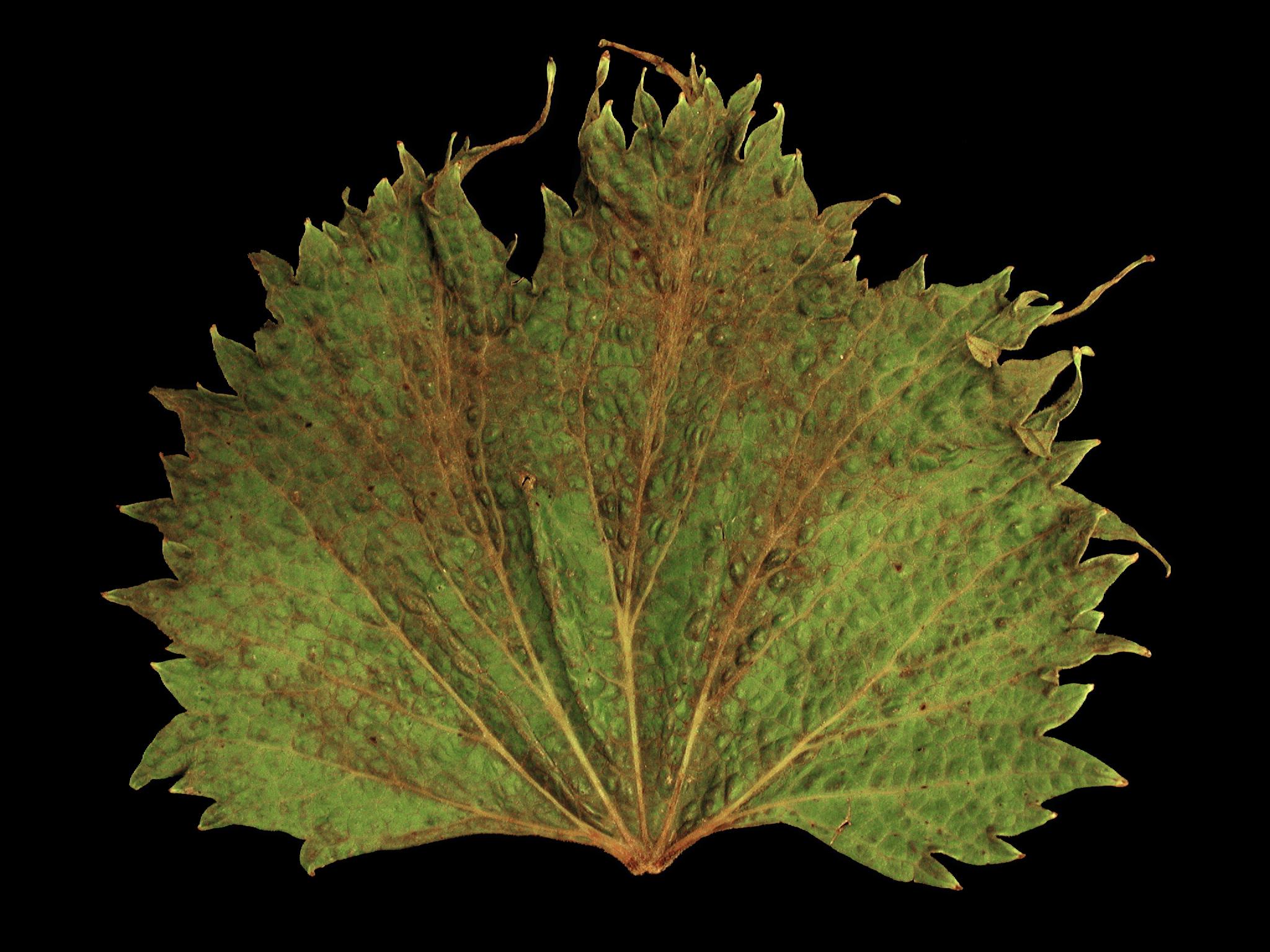
Malformation sévère d'une feuille de vigne
OrganisationFournisseur
Ministère de l'Agriculture, des Pêcheries et de l'Alimentation du Québec
La face supérieure d’une feuille de vigne (cv 'Eona') montre une marge très découpée en forme de dents allongées avec des excroissances filiformes, du gaufrage et une surface du limbe bosselée ainsi que des nervures saillantes et parallèles. Les jeunes feuilles sont les plus affectées. Ces malformations sont typiques d'une phytotoxicité par des herbicides du groupe 4 (phytohormones ou auxines). Malheureusement, l’herbicide responsable des dommages n’a pu être précisé.