Les herbicides du groupe de résistance 4 regroupent les herbicides de type phytohormones de synthèse ou auxines synthétiques. On y retrouve, entre autres, le 2,4-D, le clopyralide, le dicamba et le mécoprop. Ce groupe d’herbicide est absorbé rapidement par le feuillage et les racines, peut s'accumuler dans les zones de divisions cellulaires intensives (méristème, bourgeon, racine) et est transloqué dans la plante par le xylème et le phloème. Il entraine une croissance anormale de la plante.
La vigne est très sensible aux herbicides phytohormonaux, particulièrement le 2,4-D et le dicamba. Certaines formulations des herbicides phytohormonaux sont très volatiles et la dérive, sous forme de vapeur, peut endommager les vignes selon les conditions climatiques observées après l’application. Même à faible dose, les vapeurs de ces herbicides affectent parfois les vignes qui sont à près de 2 kilomètres du lieu d’application. La vigne est beaucoup plus sensible que le maïs et le blé. Les symptômes apparaissent généralement 2 jours après le traitement.
Chez la vigne, les dommages causés par une phytotoxicité par des herbicides phytohormonaux peuvent être confondus avec le virus du court-noué de la vigne (Grapevine fanleaf virus (GFLV)).
Pour diminuer les risques de phytotoxicité, il faut éviter les dérives sur les cultures lors de l’application, utiliser des jets dirigés au besoin, ne pas appliquer par temps venteux, respecter les consignes inscrites sur l’étiquette et bien nettoyer le pulvérisateur.
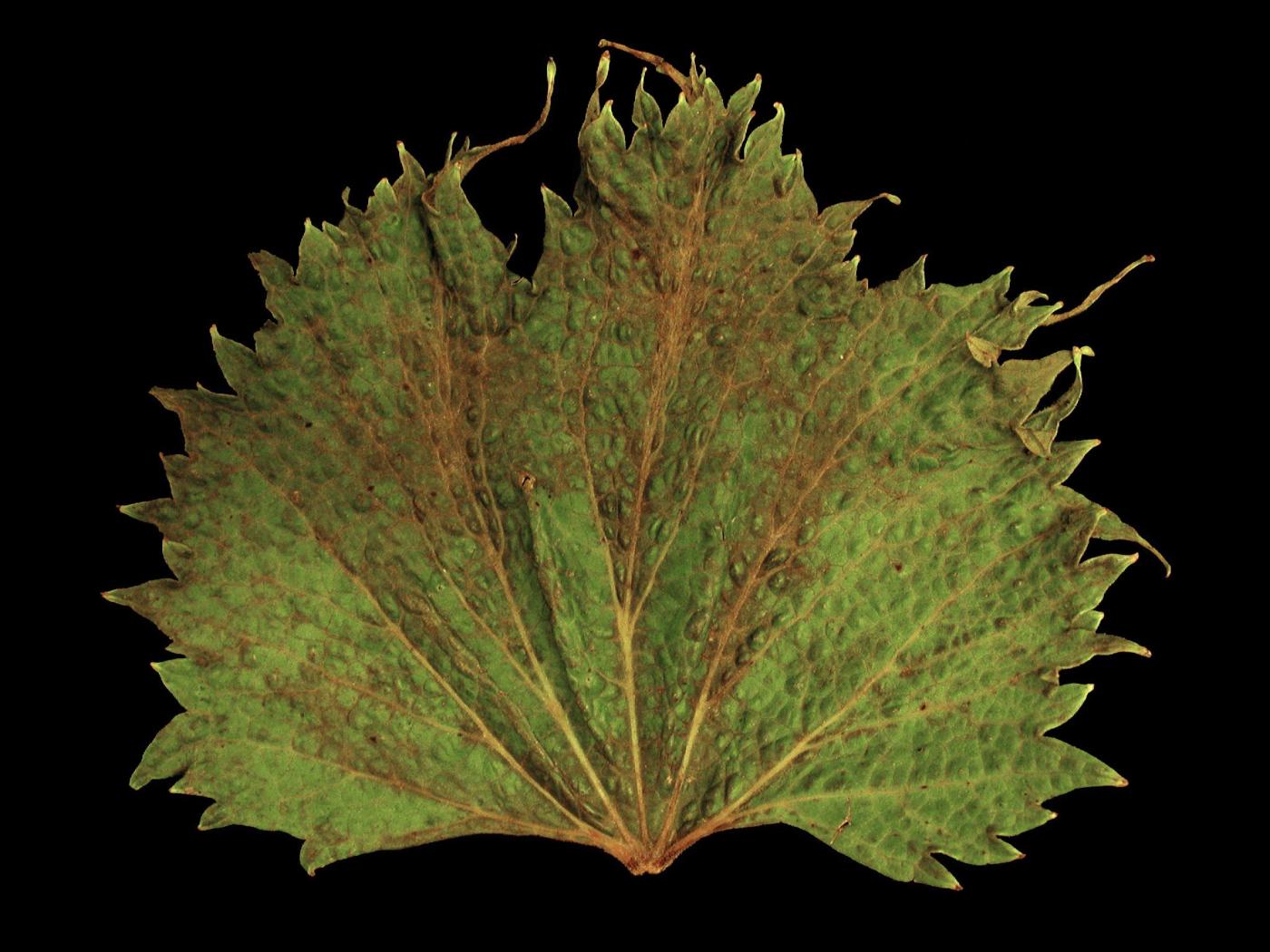
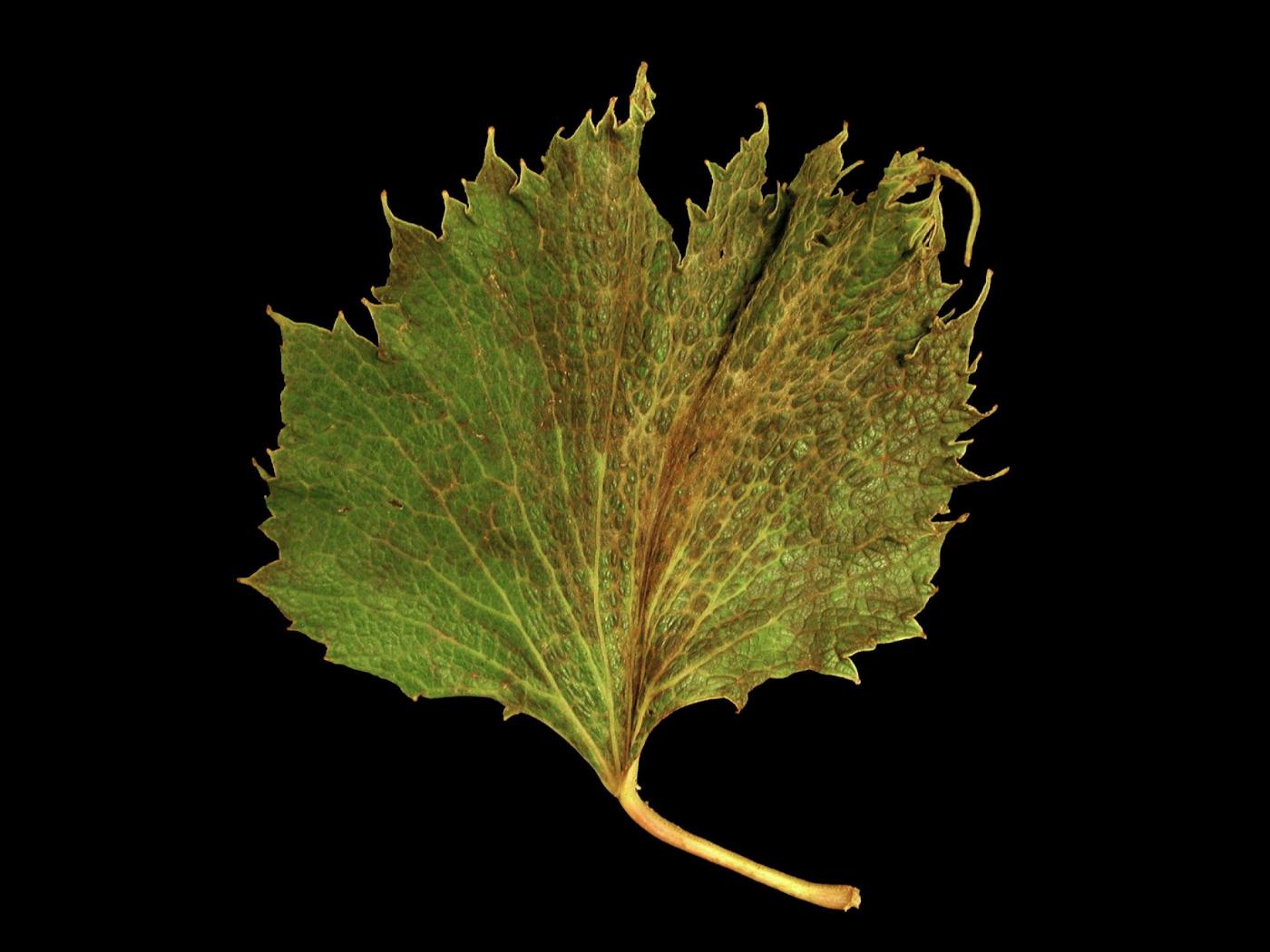
Feuille : déformation des jeunes feuilles. La feuille peut montrer une marge très découpée en forme de dents allongées avec des excroissances filiformes, du gaufrage, une surface du limbe bosselée et des nervures saillantes et parallèles.
Fruit : la couleur de l’épiderme est parfois altérée, le taux de sucre diminue et l’acidité des baies augmente.
Tige : affecte la croissance de l’extrémité des pousses annuelles. La croissance des tiges latérales se poursuit, conférant aux plants un aspect de buisson.
Pearson R. C. & Goheen A. C. (Eds) (1998). Pesticide Toxicity. Dans Compendium of Grape Diseases. APS Press. The American Phytopathological Society Press, St-Paul, Minnesota. p. 69-71.
https://catalog.extension.oregonstate.edu/sites/catalog/files/project/pdf/em8860.pdf






