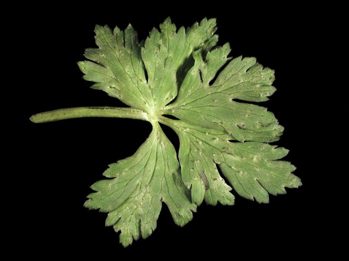
Fraise - Carence en potassium (K)_3

Fournisseur

Laboratoire de diagnostic en phytoprotection

Photographe

Michel Lacroix

Legende

Brunissement sur et entre les nervures d'une feuille de fraisier

Credit

Laboratoire d'expertise et de diagnostic en phytoprotection - MAPAQ
Framboise - Luminosité intense et température basse de l’air (froid)

Fournisseur

Laboratoire de diagnostic en phytoprotection

Photographe

Chantal Malenfant

Legende

Taches blanchâtres sur feuilles de framboisier

Credit

Laboratoire d'expertise et de diagnostic en phytoprotection - MAPAQ
Framboise - Luminosité intense et température basse de l’air (froid)

Fournisseur

Laboratoire de diagnostic en phytoprotection

Photographe

Chantal Malenfant

Legende

Taches blanchâtres sur feuilles de framboisier

Credit

Laboratoire d'expertise et de diagnostic en phytoprotection - MAPAQ
Rhododendrons - Luminosité intense et température basse de l’air (froid)_1

Fournisseur

Laboratoire de diagnostic en phytoprotection

Photographe

Chantal Malenfant

Legende

Blanchiment des feuilles d'un rhododendron

Credit

Laboratoire d'expertise et de diagnostic en phytoprotection - MAPAQ
Rhododendrons - Luminosité intense et température basse de l’air (froid)_2

Fournisseur

Laboratoire de diagnostic en phytoprotection

Photographe

Chantal Malenfant

Legende

Blanchiment des feuilles d'un rhododendron

Credit

Laboratoire d'expertise et de diagnostic en phytoprotection - MAPAQ
Rhododendrons - Luminosité intense et température basse de l’air (froid)_3

Fournisseur

Laboratoire de diagnostic en phytoprotection

Photographe

Chantal Malenfant

Legende

Blanchiment des feuilles d'un rhododendron

Credit

Laboratoire d'expertise et de diagnostic en phytoprotection - MAPAQ
Soya - Polluant gazeux

Fournisseur

Pierre Lachance

Photographe

Pierre Lachance

Legende

Brunissement au reflet métallique sur foliole de soya

Credit

Pierre Lachance - MAPAQ
Vigne (raisin) - Gel printanier_1

Fournisseur

Laboratoire de diagnostic en phytoprotection

Photographe

Chantal Malenfant

Legende

Minuscules taches sur feuille de vigne

Credit

Laboratoire d'expertise et de diagnostic en phytoprotection - MAPAQ
Vigne (raisin) - Gel printanier_2

Fournisseur

Laboratoire de diagnostic en phytoprotection

Photographe

Chantal Malenfant

Legende

Minuscules taches sur feuille de vigne

Credit

Laboratoire d'expertise et de diagnostic en phytoprotection - MAPAQ
Betterave - Problème variétal ou désordre physiologique_1

Fournisseur

Laboratoire de diagnostic en phytoprotection

Photographe

Chantal Malenfant

Legende

Anomalie de coloration dans la chair

Credit

Laboratoire d'expertise et de diagnostic en phytoprotection - MAPAQ
Betterave - Problème variétal ou désordre physiologique_2

Fournisseur

Laboratoire de diagnostic en phytoprotection

Photographe

Chantal Malenfant

Legende

Anomalie de coloration dans la chair

Credit

Laboratoire d'expertise et de diagnostic en phytoprotection - MAPAQ
Betterave - Problème variétal ou désordre physiologique_3

Fournisseur

Laboratoire de diagnostic en phytoprotection

Photographe

Chantal Malenfant

Legende

Anomalie de coloration dans la chair

Credit

Laboratoire d'expertise et de diagnostic en phytoprotection - MAPAQ
Trolles - pH élevé (neutre à basique) et carence en bore

Fournisseur

Laboratoire de diagnostic en phytoprotection

Photographe

Chantal Malenfant

Legende

Taches surélevées sur feuille de trolle de Chine

Credit

Laboratoire d'expertise et de diagnostic en phytoprotection - MAPAQ
Trolles - pH élevé (neutre à basique) et carence en bore

Fournisseur

Laboratoire de diagnostic en phytoprotection

Photographe

Chantal Malenfant

Legende

Taches surélevées sur feuille de trolle de Chine

Credit

Laboratoire d'expertise et de diagnostic en phytoprotection - MAPAQ
Trolles - pH élevé (neutre à basique) et carence en bore

Fournisseur

Laboratoire de diagnostic en phytoprotection

Photographe

Chantal Malenfant

Legende

Taches surélevées sur feuille de trolle de Chine

Credit

Laboratoire d'expertise et de diagnostic en phytoprotection - MAPAQ
Trolles - pH élevé (neutre à basique) et carence en bore

Fournisseur

Laboratoire de diagnostic en phytoprotection

Photographe

Chantal Malenfant

Legende

Taches brunes surélevées sur feuille de trolle de Chine

Credit

Laboratoire d'expertise et de diagnostic en phytoprotection - MAPAQ
Trolles - pH élevé (neutre à basique) et carence en bore

Fournisseur

Laboratoire de diagnostic en phytoprotection

Photographe

Chantal Malenfant

Legende

Taches brunes surélevées sur feuille de trolle de Chine

Credit

Laboratoire d'expertise et de diagnostic en phytoprotection - MAPAQ
Vigne (raisin) - Rougeot (Pseudopezicula tracheiphila)

Fournisseur

Laboratoire de diagnostic en phytoprotection

Photographe

Claire Fecteau

Legende

Brûlures importantes du limbe sur des feuilles de vigne

Credit

Laboratoire d'expertise et de diagnostic en phytoprotection - MAPAQ
Vigne (raisin) - Rougeot (Pseudopezicula tracheiphila)

Fournisseur

Laboratoire de diagnostic en phytoprotection

Photographe

Claire Fecteau

Legende

Brûlures du limbe sur une feuille de vigne

Credit

Laboratoire d'expertise et de diagnostic en phytoprotection - MAPAQ
Fraise - dichloropropène (2B)_1

Fournisseur

Laboratoire de diagnostic en phytoprotection

Photographe

Claire Fecteau

Legende

Comparaison entre un plant de fraisier traité et non traité avec un nématicide

Credit

Laboratoire d'expertise et de diagnostic en phytoprotection - MAPAQ
Framboise - terbacil (5)_1

Fournisseur

Luc Urbain

Photographe

Luc Urbain

Legende

Jaunissement des nervures des folioles de framboisier

Credit

MAPAQ
Framboise - terbacil (5)_2

Fournisseur

Luc Urbain

Photographe

Luc Urbain

Legende

Blanchiment des nervures d'une feuille de framboisier

Credit

MAPAQ
Framboise - terbacil (5)_3

Fournisseur

Luc Urbain

Photographe

Luc Urbain

Legende

Brûlure et blanchiment des nervures des folioles de framboisier

Credit

MAPAQ
Brocoli - paraquat (22)_1

Fournisseur

Laboratoire de diagnostic en phytoprotection

Photographe

Claire Fecteau

Legende

Taches sur feuille de brocoli

Credit

Laboratoire d'expertise et de diagnostic en phytoprotection - MAPAQ
Brocoli - paraquat (22)_2

Fournisseur

Laboratoire de diagnostic en phytoprotection

Photographe

Claire Fecteau

Legende

Taches sur feuille de brocoli

Credit

Laboratoire d'expertise et de diagnostic en phytoprotection - MAPAQ
Fraise - Gel hivernal

Fournisseur

Laboratoire d'expertise et de diagnostic en phytoprotection

Photographe

Laurianne Pichette

Legende

Rougissement et brunissement des tissus internes du collet. 

Credit

Laboratoire d'expertise et de diagnostic en phytoprotection - MAPAQ
Pépéromias - Virus indéterminé_1

Fournisseur

Laboratoire d'expertise et de diagnostic en phytoprotection

Photographe

Michel Lacroix

Legende

Credit

Laboratoire d'expertise et de diagnostic en phytoprotection - MAPAQ
Pépéromias - Virus indéterminé_2

Fournisseur

Laboratoire d'expertise et de diagnostic en phytoprotection

Photographe

Michel Lacroix

Legende

Credit

Laboratoire d'expertise et de diagnostic en phytoprotection - MAPAQ
Orchidées - Virus indéterminé_4

Fournisseur

Laboratoire d'expertise et de diagnostic en phytoprotection

Photographe

Chantal Malenfant

Legende

Credit

Laboratoire d'expertise et de diagnostic en phytoprotection - MAPAQ
Orchidées - Virus indéterminé_5

Fournisseur

Laboratoire d'expertise et de diagnostic en phytoprotection

Photographe

Chantal Malenfant

Legende

Credit

Laboratoire d'expertise et de diagnostic en phytoprotection - MAPAQ