Le jaune de juin est un trouble génétique non infectieux qui se manifeste uniquement chez le fraisier et sur quelques cultivars seulement (‘Bloomidon’ et ‘Glooscap’). Ce désordre est occasionnel et mineur. Les symptômes deviennent progressivement plus importants chaque année et la vigueur des plants et la production de fruits diminuent. La jaunisse de juin n’est pas transmise aux plants sains par le greffage ni par les insectes, mais d’un plant mère porteur à ses plants filles (stolons). Au champ, les symptômes de la jaunisse de juin sont présents en petits foyers et tous les plants de la parcelle sont affectés.
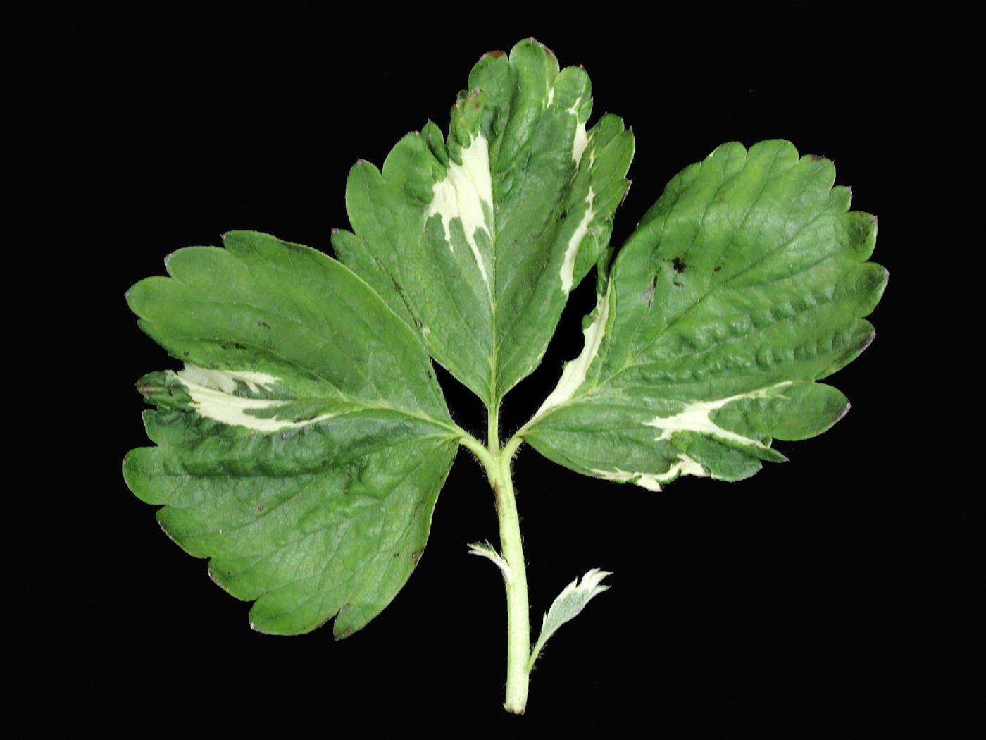
Feuille : anomalie de coloration variant du jaune au blanc, se présentant sous la forme de stries ou de marbrures. Parfois jaunissement complet des folioles. Les symptômes affectent en premier les jeunes feuilles.
Fruit : sont petits et d'une piètre qualité.
Plant : ont une croissance ralentie.
La jaunisse de juin peut être confondue avec une chimère, une carence en fer (nervure demeure verte) et une maladie virale. Par contre, aucun de ces désordres ou problèmes n’est caractérisé par une variation saisonnière.
La jaunisse de juin est un désordre génétique non infectieux incurable. Les plants affectés doivent être détruits. Il faut maintenir les plants vigoureux et ne pas multiplier les plants atteints.
Lambert L. (2007). Jaunisse de juin. Dans Guide des carences, désordres et problèmes de phytotoxicité du fraisier, du framboisier et du bleuetier. CRAAQ (Centre de référence en agriculture et agroalimentaire du Québec). p. 59-60.
Maas, J. L. (Eds) (1998). June Yellows. Dans Compendium of Strawberry Diseases. 2e éd. APS Press. The American Phytopathological Society Press, St-Paul, Minnesota. p. 8.
Converse R. H. (Ed) (1987). Strawberry June Yellows. Dans Virus Disease of Small Fruits. United States Department of Agriculture, Agricultural Handbook No. 631. p. 69-72.
http://www.omafra.gov.on.ca/IPM/french/strawberries/diseases-and-disorders/june-yellows.html




