Identificateur
Dominique Hamel
Crédit photo
Laboratoire d'expertise et de diagnostic en phytoprotection - MAPAQ
Fournisseur
Céline Laroche
Photographe
Chantal Malenfant
Légende
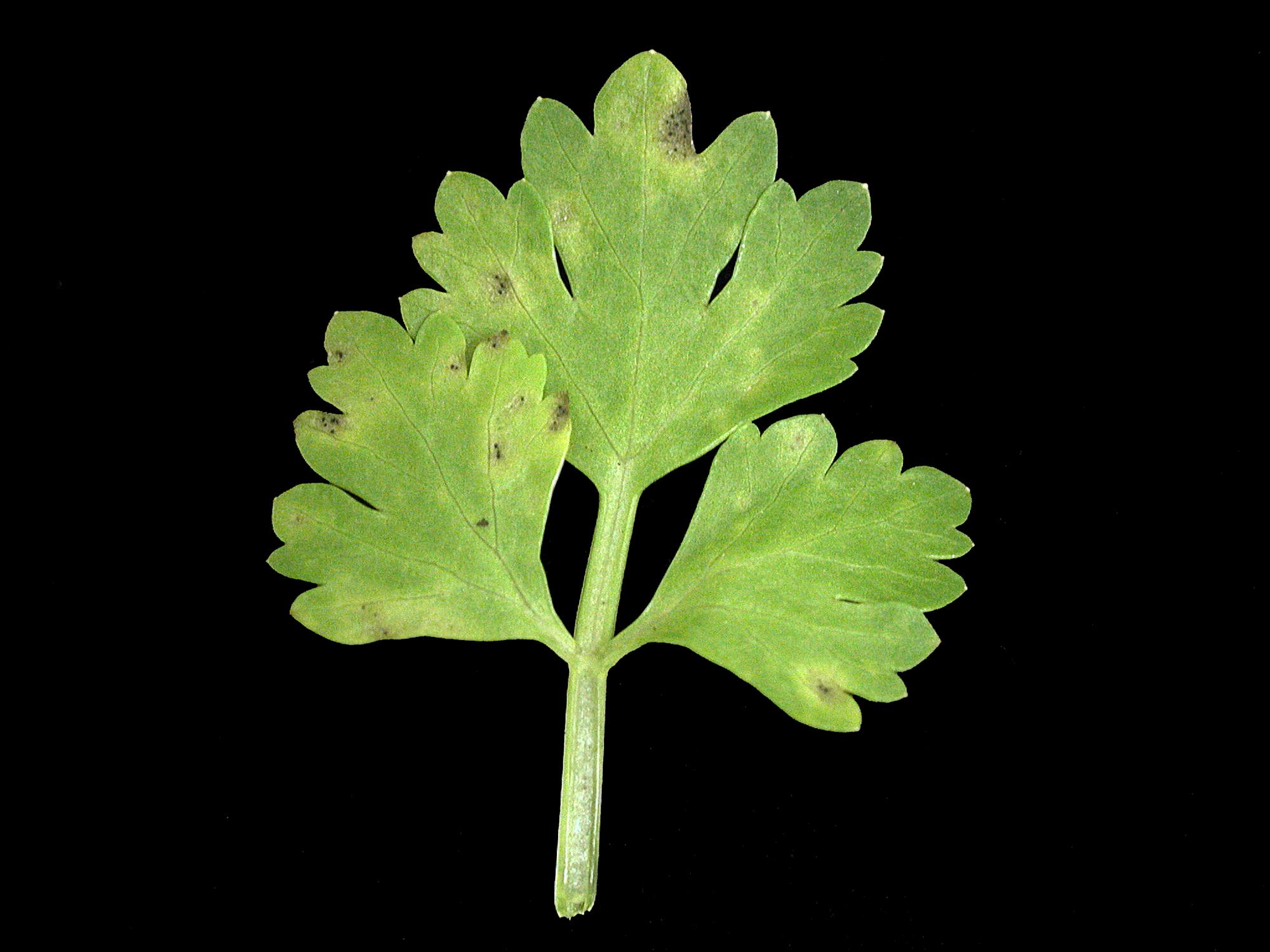
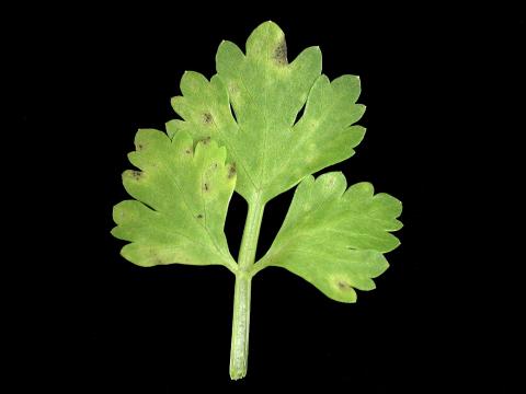
Taches sur feuille de céleri
OrganisationFournisseur
Consortium Prisme
À la face supérieure d’une feuille basale de céleri, présence de taches brunâtres entourées d’un halo jaune. Le centre des taches est parsemé de petits points noirs. Les observations microscopiques ont révélé la présence du champignon Septoria apiicola, responsable de la tache septorienne chez le céleri.