Identificateur
Michel Lacroix
Crédit photo
Laboratoire d'expertise et de diagnostic en phytoprotection - MAPAQ
Fournisseur
Laboratoire de diagnostic en phytoprotection
Photographe
Chantal Malenfant
Légende
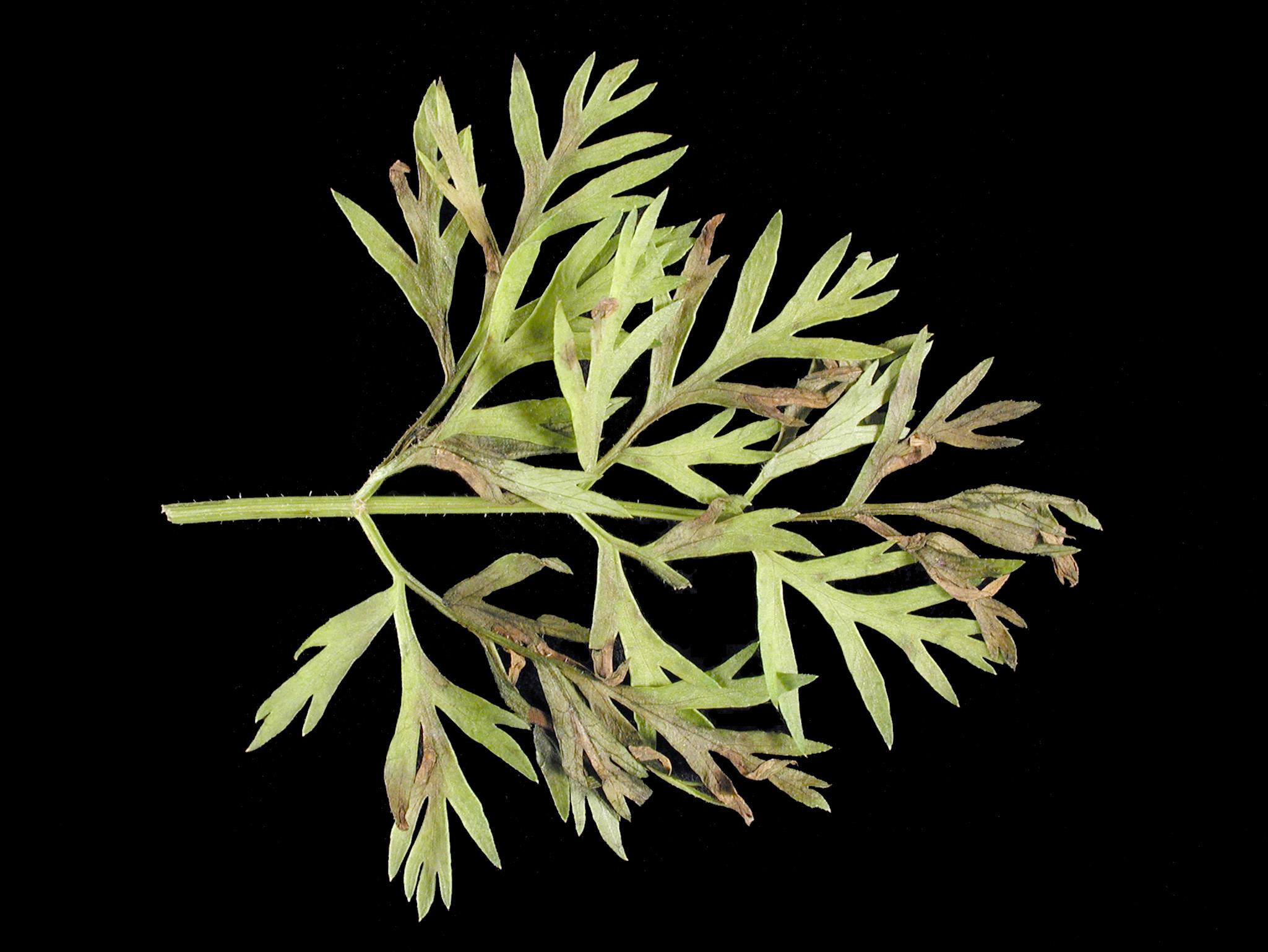
Brûlures sur feuilles de carotte
OrganisationFournisseur
Ministère de l'Agriculture, des Pêcheries et de l'Alimentation du Québec
Les feuilles de carotte présentent des brûlures irrégulières ayant une coloration uniforme brune et une apparence sèche. La dimension des brûlures varie entre 5 et 7 mm. Elles sont réparties à la marge et à l’apex. Les observations microscopiques ont révélé la présence du champignon Cercospora carotae, responsable de la brûlure cercosporéenne.