Identificateur
Michel Lacroix
Crédit photo
Laboratoire d'expertise et de diagnostic en phytoprotection - MAPAQ
Fournisseur
Laboratoire de diagnostic en phytoprotection
Photographe
Michel Lacroix
Légende
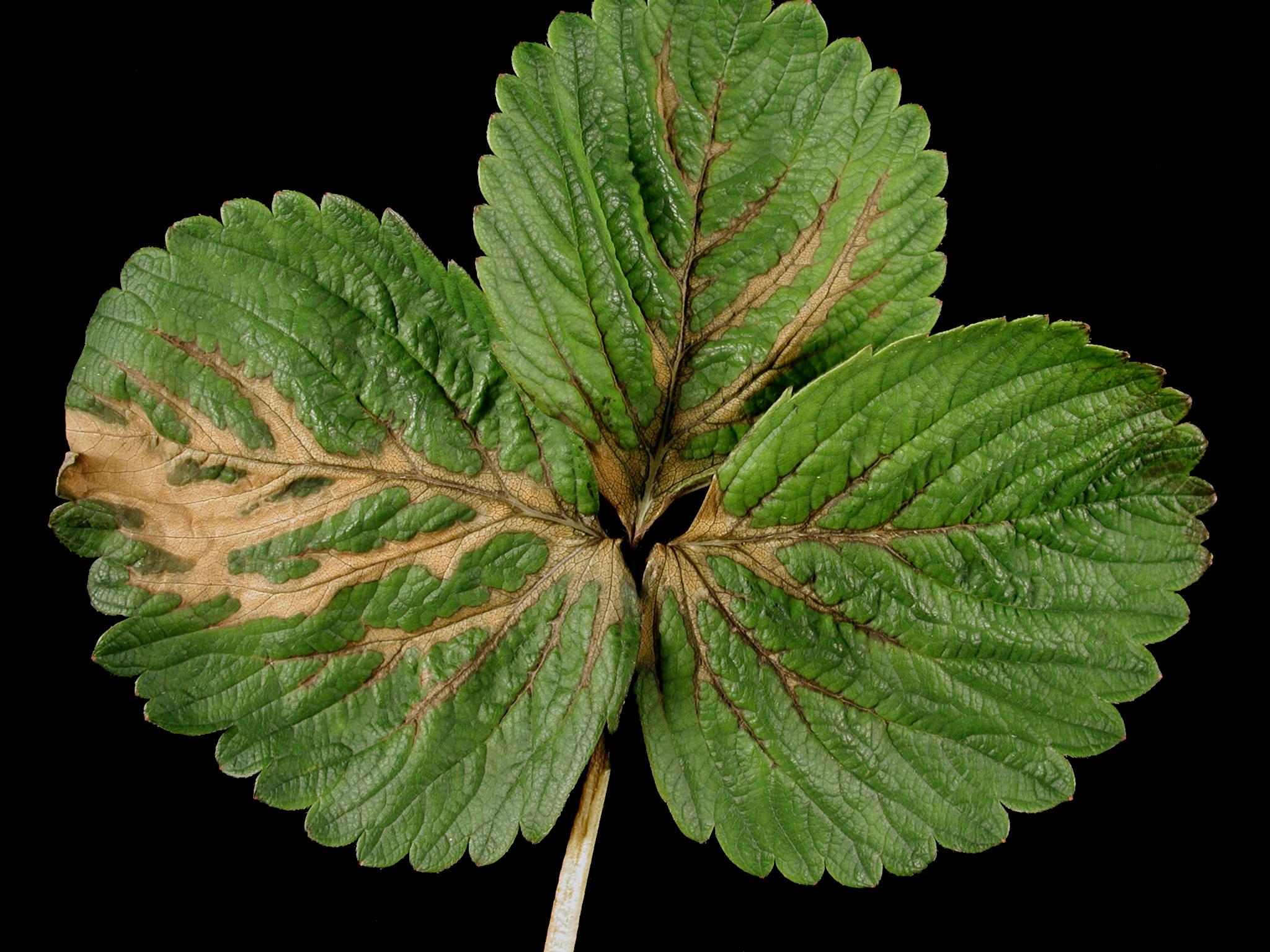
Brunissement sur les nervures d'une feuille de fraisier
OrganisationFournisseur
Ministère de l'Agriculture, des Pêcheries et de l'Alimentation du Québec
La feuille de fraisier présente une brûlure brun pâle débutant à la base du limbe et progressant sur les nervures principales. Initialement, le symptôme n’est observé que sur les nervures puis la brûlure progresse sur le limbe entre les nervures. Le pétiole près du limbe brunit et s'affaisse. Aucun jaunissement n'est présent. Les symptômes sont rapportés pour affecter les feuilles médianes et basales.
En se basant sur les informations indiquées dans la référence citée, les symptômes sont similaires à ceux d'une carence en potassium. Dans la référence Ulrich et al., il est indiqué qu'une carence en potassium se caractérise par les symptômes suivant : "... the lower blade area, including the mid-rib and petiole section from the blade to the leaf stalk, darkens and becomes dry. This symptom is unique of the strawberry plant and identifies it as a shortage of potassium ". De plus, il est indiqué qu'un contenu de moins de 0,5 % en potassium est un indice de carence. Cependant, pour l'échantillon reçu, la teneur en potassium s'est avérée être de 1,9 %. Ainsi, le diagnostic d'une carence en potassium demeure une hypothèse basée sur les informations de la littérature.
En se basant sur les informations indiquées dans la référence citée, les symptômes sont similaires à ceux d'une carence en potassium. Dans la référence Ulrich et al., il est indiqué qu'une carence en potassium se caractérise par les symptômes suivant : "... the lower blade area, including the mid-rib and petiole section from the blade to the leaf stalk, darkens and becomes dry. This symptom is unique of the strawberry plant and identifies it as a shortage of potassium ". De plus, il est indiqué qu'un contenu de moins de 0,5 % en potassium est un indice de carence. Cependant, pour l'échantillon reçu, la teneur en potassium s'est avérée être de 1,9 %. Ainsi, le diagnostic d'une carence en potassium demeure une hypothèse basée sur les informations de la littérature.