Aller au contenu principal
Toggle menu
Me connecter
Accueil
Rechercher
Symptômes et dommages sur les plantes
Culture
Insectes et autres invertébrés
Mauvaises herbes et autres plantes
Virus et viroïdes
Champignons
Nématodes
Bactéries et phytoplasmes
Identifier
Glossaire
Galerie d'images
Ronce hispide (Rubus hispidus)_7
Accueil
Nœud
Ronce hispide (Rubus hispidus)_7
Crédit photo
Laboratoire d'expertise et de diagnostic en phytoprotection - MAPAQ
Fournisseur
Romain Néron
Photographe
Romain Néron
Légende
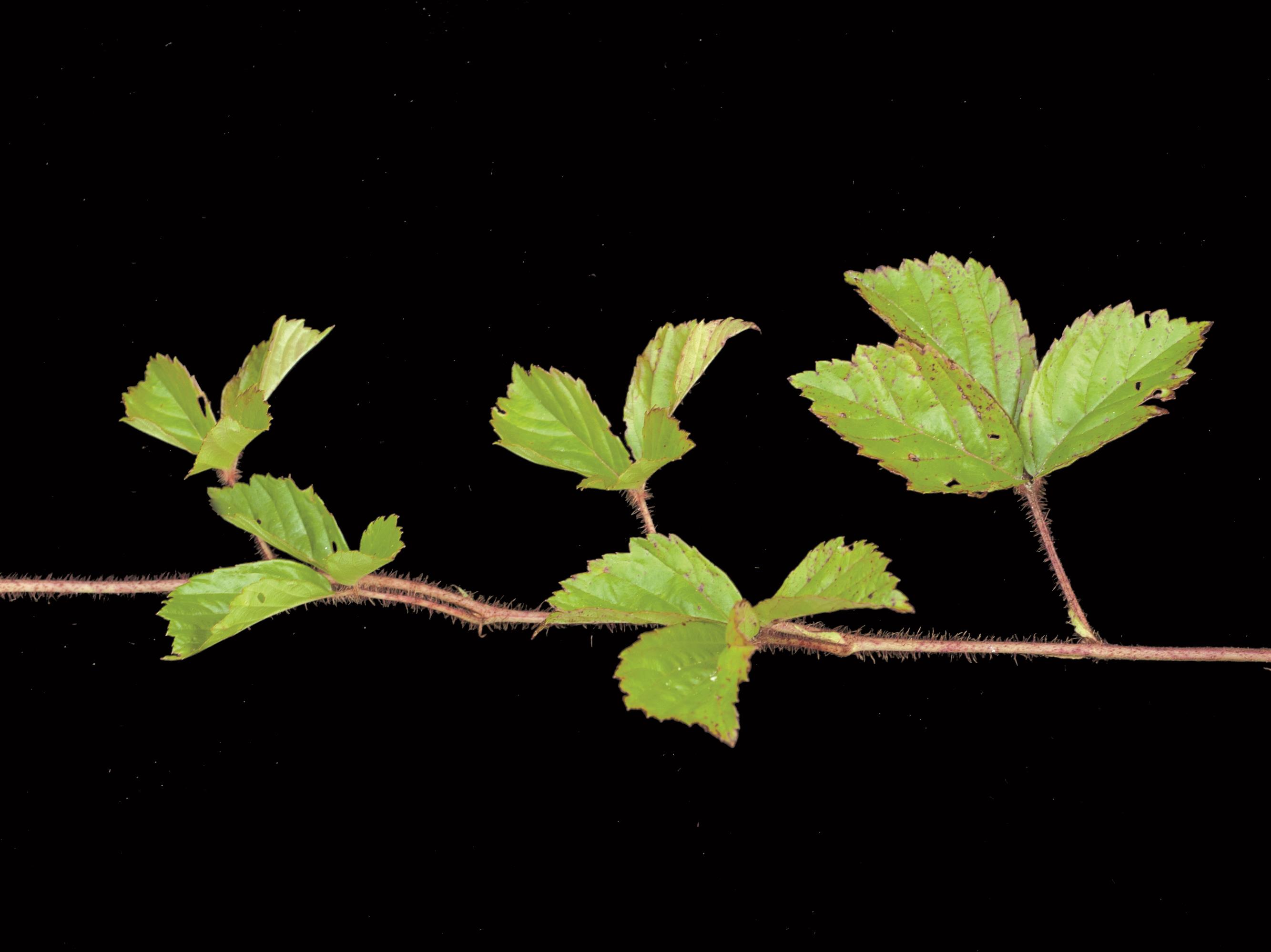
Stolons et feuilles s'y rattachant
OrganisationFournisseur
MAPAQ
Champ
Plant végétatif
Diagnostic visuel
Organe
Contenu lié à l'image
Dossier
Ronce hispide
Rubus hispidus
Ronce hispide (Rubus hispidus)_1
Ronce hispide (Rubus hispidus)_2
Ronce hispide (Rubus hispidus)_3
Ronce hispide (Rubus hispidus)_4
Ronce hispide (Rubus hispidus)_5
Ronce hispide (Rubus hispidus)_6
Ronce hispide (Rubus hispidus)_7
Ronce hispide (Rubus hispidus)_8
Ronce hispide (Rubus hispidus)_9
Ronce hispide (Rubus hispidus)_10
Ronce hispide (Rubus hispidus)_11
Ronce hispide (Rubus hispidus)_12
Ronce hispide (Rubus hispidus)_13
sfy39587stp18
Drupal 9 Appliance
- Powered by
TurnKey Linux