Aller au contenu principal
Toggle menu
Me connecter
Accueil
Rechercher
Symptômes et dommages sur les plantes
Culture
Insectes et autres invertébrés
Mauvaises herbes et autres plantes
Virus et viroïdes
Champignons
Nématodes
Bactéries et phytoplasmes
Identifier
Glossaire
Galerie d'images
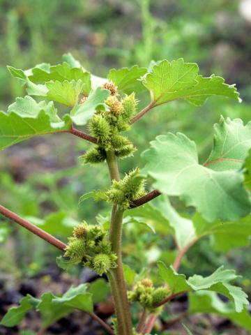
Lampourde glouteron (Xanthium strumarium)_4
Accueil
Nœud
Lampourde glouteron (Xanthium strumarium)_4
Crédit photo
Laboratoire d'expertise et de diagnostic en phytoprotection - MAPAQ
Fournisseur
Romain Néron
Photographe
Romain Néron
Légende
Fleurs mâles et femelles en grappes à l'aisselle des feuilles (capitules mâles au sommet)
Champ
Floraison
Diagnostic visuel
Organe
Contenu lié à l'image
Dossier
Lampourde glouteron
Xanthium strumarium
Lampourde glouteron (Xanthium strumarium)_1
Lampourde glouteron (Xanthium strumarium)_2
Lampourde glouteron (Xanthium strumarium)_3
Lampourde glouteron (Xanthium strumarium)_4
Lampourde glouteron (Xanthium strumarium)_5
Lampourde glouteron (Xanthium strumarium)_6
Lampourde glouteron (Xanthium strumarium)_7
Lampourde glouteron (Xanthium strumarium)_8
Lampourde glouteron (Xanthium strumarium)_9
Lampourde glouteron (Xanthium strumarium)_10
Lampourde glouteron (Xanthium strumarium)_11
Lampourde glouteron (Xanthium strumarium)_12
Lampourde glouteron (Xanthium strumarium)_13
Lampourde glouteron (Xanthium strumarium)_14
sfy39587stp18
Drupal 9 Appliance
- Powered by
TurnKey Linux