La cercosporose (Cercospora apii) et la tache septorienne (Septoria apiicola) sont les deux maladies foliaires les plus importantes du céleri. Elles sont observées partout où le céleri est cultivé. Elle affecte également le céleri-rave. La cercosporose est une maladie de conditions chaudes. Elle se manifeste plus hâtivement que la tache septorienne, mais la tache septorienne est plus fréquente au champ. Les conidies de Cercospora sont dispersées sur de plus longues distances que les spores de Septoria. Le programme de lutte contre la cercosporose est très dispendieux, car le champignon peut causer plusieurs cycles secondaires de la maladie dans une saison. Les pertes de rendement et de qualité sont importantes lorsque la défoliation est prématurée et que les pétioles portent des lésions, car elle affecte la récolte en demandant plus de main-d’œuvre et de temps pour le parage des plants malades. La maladie débute en foyer et finit par être répartie assez uniformément dans le champ.
Le champignon hiverne sous la forme de mycélium dans les semences (deux à trois ans), dans le sol sur les résidus de plantes infectées et les volontaires. Les plants de céleri contaminé, cultivés à proximité des champs en production, sont également des sources d’inoculum. Le niveau de maladie au champ est souvent corrélé avec le niveau de la maladie observé lors de la production de transplants. Pour son développement, la cercosporose nécessite une température qui se situe entre 15 et 30 °C et une humidité relative près de la saturation ou un feuillage qui demeure humide pendant au moins 10 heures. Les conidies sont produites principalement la nuit et sont éjectées le matin à mesure que l’humidité diminue et que la température se réchauffe. Les conidies sont dispersées sur les tissus foliaires sains par le vent, les éclaboussures d’eau, les travailleurs et le matériel agricole. La germination des conidies et leur pénétration dans les feuilles requièrent des conditions très humides (H. R. > 90 %, forte rosée, pluie légère) et chaudes. Le champignon pénètre dans la feuille par les stomates. Les symptômes se manifestent 5 à 15 jours après le début de l’infection. L’inoculum secondaire produit assure un niveau de la maladie au champ.
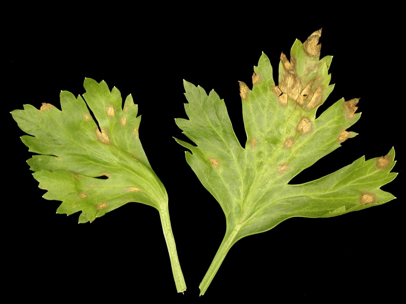
Feuille : au début, présence de petites taches vert pâle à jaunes, circulaires à irrégulières, à la face supérieure et inférieure des feuilles. Les taches évoluent rapidement pour atteindre plus de 1 centimètre de diamètre. Elles sont irrégulières avec un centre beige à gris bordé ou non d’une marge foncée plutôt diffuse. Les taches ont une texture sèche et diaphane. Lorsque les conditions sont humides, les taches paraissent gris pâle à cause de la sporulation du champignon à la surface des tissus. Lorsque les conditions environnementales sont favorables, la maladie progresse rapidement et les plants atteints paraissent brûlés. Les tissus foliaires meurent lorsque la concentration de taches est trop élevée.
Pétiole : présence de taches allongées brunes qui sont parallèles à l’axe longitudinal du pétiole. Les symptômes progressent des pétioles extérieurs vers les pétioles intérieurs.
Plant : défoliation et rabougrissement.
La cercosporose peut être confondue avec la tache septorienne, mais la tache septorienne produit des pycnides sur les taches, les lésions sont plus petites et la marge est mieux définie que celles de la cercosporose. Elle peut également être confondue avec la tache bactérienne (Pseudomonas syringae pv. apii), mais la tache bactérienne ne produit pas de conidies, mais un flux bactérien.
On peut diminuer les risques associés à la cercosporose par divers moyens tels que l’utilisation de semences saines ou traitées avec un fongicide avant le semis et des transplants de qualité. Faire des semis uniformes et éviter les semis denses pour diminuer l’humidité sur les feuilles, dépister régulièrement les transplants dans la serre, dès que les transplants sont prêts, planter au champ dans des sols bien drainés, assurer une fertilisation adéquate et prioriser l’irrigation goutte à goutte. Assurer une bonne circulation d’air entre les plants et une lutte efficace contre les mauvaises herbes. Favoriser la rotation des cultures (2 à 3 ans) avec des plantes non hôtes. Éliminer les tissus infectés en cours de production, éliminer et enfouir profondément dans le sol les débris végétaux pour accélérer leur décomposition. Le travail au champ doit se faire lorsque le feuillage est sec. Quelques cultivars de céleri résistants ou tolérants sont disponibles. La lutte chimique est disponible en champ et pour la production de transplants. Comme la culture du céleri est généralement échelonnée dans le temps, il est important de protéger les plantations tardives contre l'infection qui peut s'être développée dans les parcelles hâtives.
Davis R. M. & Raid R. N. (Eds) (2002). Early Blight of Celery. Dans Compendium of Umbelliferous Crop Diseases. APS Press, The American Phytopathological Society, St-Paul, Minnesota. p. 20-21.
Koike, S. T., Gladders P. & Paulus A. O. (2007). Early Blight of Apiaceae. Dans Vegetable Diseases – A Color Handbook. Academic Press. p. 83-84. (https://books.google.ca/books?id=iPgTGhaGRl4C&lpg=PA83&ots=0nNPbym24A&dq=cercospora%20apii%20celery&hl=fr&pg=PA83#v=onepage&q=cercospora%20apii%20celery&f=false)
Richard C. & Boivin G. (1994). Cercosporose (brûlure hâtive) du céleri. Dans Maladies et Ravageurs des Cultures Légumières au Canada. La Société Canadienne de Phytopathologie et la Société d'Entomologie du Canada, Canada. p. 90. (http://phytopath.ca/wp-content/uploads/2014/10/MRCLC/ch7-celeri.pdf)
http://www.omafra.gov.on.ca/french/crops/facts/00-094.htm
https://www.growingproduce.com/vegetables/pest-of-the-month-early-blight-of-celery/
http://www.pestnet.org/fact_sheets/celery_early_blight_136.htm
http://www.padil.gov.au/thai-bio/pest/main/140431/30123





