Aller au contenu principal
Accueil
Toggle menu
Me connecter
  • Accueil
  • Rechercher
    • Symptômes et dommages sur les plantes
    • Culture
    • Insectes et autres invertébrés
    • Mauvaises herbes et autres plantes
    • Virus et viroïdes
    • Champignons
    • Nématodes
    • Bactéries et phytoplasmes
  • Identifier
  • Glossaire
  • Galerie d'images

Galerie d'images

  1. Accueil
  2. Galerie d'images
Cochenille floconneuse de l'érable (Pulvinaria innumerabilis)_3
Cochenille floconneuse de l'érable (Pulvinaria innumerabilis)_3

Cochenille floconneuse de l'érable

Image Contenu lié à l’Image
Cochenille virgule du pommier (Lepidosaphes ulmi)_3
Cochenille virgule du pommier (Lepidosaphes ulmi)_3

Cochenille virgule du pommier

Image Contenu lié à l’Image
Cochenille virgule du pommier (Lepidosaphes ulmi)_4
Cochenille virgule du pommier (Lepidosaphes ulmi)_4

Cochenille virgule du pommier

Image Contenu lié à l’Image
Cochenille virgule du pommier (Lepidosaphes ulmi)_1
Cochenille virgule du pommier (Lepidosaphes ulmi)_1

Cochenille virgule du pommier

Image Contenu lié à l’Image
Cochenille virgule du pommier (Lepidosaphes ulmi)_2
Cochenille virgule du pommier (Lepidosaphes ulmi)_2

Cochenille virgule du pommier

Image Contenu lié à l’Image
Codinaea-01
Codinaea-01

Codinaea sp.

Image Contenu lié à l’Image
Codinaea-06
Codinaea-06

Codinaea sp.

Image Contenu lié à l’Image
Coeurs saignants - Virus du bruissement du tabac (TRV)
Coeurs saignants - Virus du bruissement du tabac (TRV)

Coeurs saignants - Virus du bruissement du tabac

Une feuille d’un cœur saignant blanc montre un limbe gaufré et une mosaïque constituée de plages irrégulières jaunes ou sous la forme de petits anneaux jaunes. Les symptômes a...
Image Contenu lié à l’Image
Coeurs saignants - Virus du bruissement du tabac (TRV)
Coeurs saignants - Virus du bruissement du tabac (TRV)

Coeurs saignants - Virus du bruissement du tabac

Une foliole d’un cœur saignant montre un jaunissement du limbe qui prend un motif de « feuille de chêne ». Les tests de laboratoire ont révélé la présence du virus du bruissem...
Image Contenu lié à l’Image
Coeurs saignants - Virus du bruissement du tabac (TRV)
Coeurs saignants - Virus du bruissement du tabac (TRV)

Coeurs saignants - Virus du bruissement du tabac

Une feuille d’un cœur saignant blanc montre un limbe gaufré et une mosaïque constituée de plages irrégulières jaunes ou sous la forme de petits anneaux jaunes. Les symptômes a...
Image Contenu lié à l’Image
Coeurs saignants - Virus du bruissement du tabac (TRV)
Coeurs saignants - Virus du bruissement du tabac (TRV)

Coeurs saignants - Virus du bruissement du tabac

Une foliole d’un cœur saignant montre un jaunissement important du limbe qui prend un motif de « feuille de chêne ». Les tests de laboratoire ont révélé la présence du virus d...
Image Contenu lié à l’Image
Coeurs saignants - Virus du bruissement du tabac (TRV)
Coeurs saignants - Virus du bruissement du tabac (TRV)

Coeurs saignants - Virus du bruissement du tabac

Les feuilles d’un cœur saignant montrent un jaunissement du limbe qui se manifeste sous la forme de taches, de lignes ou d’anneaux incomplets. Sur une foliole, il prend un mot...
Image Contenu lié à l’Image
Coeurs saignants - Virus du bruissement du tabac (TRV)
Coeurs saignants - Virus du bruissement du tabac (TRV)

Coeurs saignants - Virus du bruissement du tabac

Les feuilles d’un cœur saignant montrent un jaunissement du limbe qui se manifeste sous la forme de taches, de lignes ou d’anneaux incomplets. Les symptômes affectent les feui...
Image Contenu lié à l’Image
Coeurs saignants - Virus du bruissement du tabac (TRV)
Coeurs saignants - Virus du bruissement du tabac (TRV)

Coeurs saignants - Virus du bruissement du tabac

Les feuilles d’un cœur saignant montrent un jaunissement du limbe qui se manifeste sous la forme de taches, de lignes ou d’anneaux incomplets. Sur une foliole, il prend un mot...
Image Contenu lié à l’Image
Coeurs saignants - Virus du bruissement du tabac (TRV)
Coeurs saignants - Virus du bruissement du tabac (TRV)

Coeurs saignants - Virus du bruissement du tabac

Une feuille d’un cœur saignant blanc montre un limbe gaufré et une mosaïque constituée de plages irrégulières jaunes ou sous la forme de petits anneaux jaunes. Les symptômes a...
Image Contenu lié à l’Image
Coeurs saignants - Virus du bruissement du tabac (TRV)
Coeurs saignants - Virus du bruissement du tabac (TRV)

Coeurs saignants - Virus du bruissement du tabac

Une foliole d’un cœur saignant montre un jaunissement du limbe qui se manifeste sous la forme de taches, de lignes ou d’anneaux incomplets. Les tests de laboratoire ont révélé...
Image Contenu lié à l’Image
Coleophoma_empetri-05a_LQ
Coleophoma_empetri-05a_LQ

Coleophoma empetri

Image Contenu lié à l’Image
Coleophoma_empetri-06_LQ
Coleophoma_empetri-06_LQ

Coleophoma empetri

Image Contenu lié à l’Image
Coléus - Mildiou (Peronospora sp.)_1
Coléus - Mildiou (Peronospora sp.)_1

Coléus - Mildiou

Sur des feuilles de coléus (cv 'Wizard Golden Sun'), présence d’une brûlure importante à l’apex et de petites brûlures entre les nervures, près du pétiole. Tous les niveaux de...
Image Contenu lié à l’Image
Coléus - Mildiou (Peronospora sp.)_2
Coléus - Mildiou (Peronospora sp.)_2

Coléus - Mildiou

Sur la feuille de coléus (cv 'Wizard Golden Sun'), présence de petites brûlures entre les nervures, près du pétiole. Tous les niveaux de feuilles sont affectés. Le feuillage e...
Image Contenu lié à l’Image
Coléus - Mildiou (Peronospora sp.)_3
Coléus - Mildiou (Peronospora sp.)_3

Coléus - Mildiou

Sur des feuilles de coléus (cv 'Wizard Golden Sun'), présence d’une brûlure importante à l’apex et de petites brûlures entre les nervures, près du pétiole. Tous les niveaux de...
Image Contenu lié à l’Image
Coléus - Mildiou (Peronospora sp.)_4
Coléus - Mildiou (Peronospora sp.)_4

Coléus - Mildiou

Sur des feuilles de coléus (cv 'Wizard Golden Sun'), présence d’une brûlure importante à l’apex et de petites brûlures entre les nervures, près du pétiole. Tous les niveaux de...
Image Contenu lié à l’Image
Coléus - pH bas (acide)_1
Coléus - pH bas (acide)_1

Coléus - pH bas (acide)

Sur un plant de coléus (cv 'Solar Red') cultivé en serre, présence de taches circulaires vertes réparties aléatoirement sur le limbe de toutes les feuilles. Il y a entre 2 et ...
Image Contenu lié à l’Image
Coléus - pH bas (acide)_2
Coléus - pH bas (acide)_2

Coléus - pH bas (acide)

Sur une feuille basale de coléus (cv 'Solar Red') cultivé en serre, présence de taches circulaires vertes aléatoirement sur le limbe. L’apex est également tronqué, pincé et so...
Image Contenu lié à l’Image
Coléus - Virus de la tache nécrotique de l'impatiente (INSV)_1
Coléus - Virus de la tache nécrotique de l'impatiente (INSV)_1

Coléus - Virus de la tache nécrotique de l'impatiente

Sur des feuilles de coléus, présence de taches circulaires vertes empiétant sur les tissus rouges des feuilles (voir flèches). Cette anomalie de coloration prend un motif de «...
Image Contenu lié à l’Image
Coléus - Virus de la tache nécrotique de l'impatiente (INSV)_2
Coléus - Virus de la tache nécrotique de l'impatiente (INSV)_2

Coléus - Virus de la tache nécrotique de l'impatiente

Sur des feuilles de coléus, présence de longues lignes rouges et de quelques rares taches circulaires rouges sur le limbe. Une brûlure débute à l’apex puis progresse sur le li...
Image Contenu lié à l’Image
Coliade de la luzerne (Colias eurytheme)_1
Coliade de la luzerne (Colias eurytheme)_1

Coliade de la luzerne

Image Contenu lié à l’Image
Colletotrichum acutatum_stacking
Colletotrichum acutatum_stacking

Colletotrichum acutatum

Jeunes acervules de Colletotrichum du groupe acutatum sur une tomate. On remarque les conidiomes qui se développent sous la cuticule du fruit et forment des cloques convexes, ...
Image Contenu lié à l’Image
Colletotrichum acutatum
Colletotrichum acutatum

Colletotrichum acutatum

Acervules maturent de Colletotrichum du groupe acutatum sur un fruit de tomate. Focus stacking. ...
Image Contenu lié à l’Image
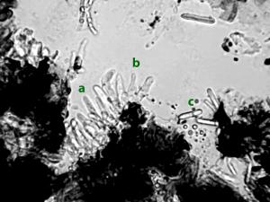
Colletotrichum_acutatum-01
Colletotrichum_acutatum-01

Colletotrichum acutatum

Deux acervules de Colletotrichum acutatum. Conidiophiores qui portent les conidies. ...
Image Contenu lié à l’Image
Colletotrichum acutatum
Colletotrichum acutatum

Colletotrichum acutatum

Conidies et acervules de Colletotrichum du groupe acutatum. Les longues structures pointues et noires correspondent aux setae du champignon. ...
Image Contenu lié à l’Image
Colletotrichum_circinans_D39112-1_lq
Colletotrichum_circinans_D39112-1_lq

Colletotrichum circinans

Image Contenu lié à l’Image
  • Afficher plus
Logo IRIIS
L’outil IRIIS est enrichi par le MAPAQ
et ses collaborateurs
Liens 

 À propos
 Fournir des images
 Crédits photo
 Glossaire
 Conditions d'utilisation
 Admin

Contact 

Téléphone : 418 523-5411
Sans frais : 1 888 535-2537
Télécopieur : 418 644-5944
Courriel : iriisphytoprotection@craaq.qc.ca

Adresse 

Édifice Delta 1
2875, boulevard Laurier, 9e étage

Québec (Québec) G1V 2M2
Canada

Propulsé par craaq

Ce site est optimisé pour Mozilla Firefox et Google Chrome

© CRAAQ, 2023 Tous droits réservés

       
sfy39587stp18
Drupal 9 Appliance - Powered by TurnKey Linux