Aller au contenu principal
Accueil
Toggle menu
Me connecter
  • Accueil
  • Rechercher
    • Symptômes et dommages sur les plantes
    • Culture
    • Insectes et autres invertébrés
    • Mauvaises herbes et autres plantes
    • Virus et viroïdes
    • Champignons
    • Nématodes
    • Bactéries et phytoplasmes
  • Identifier
  • Glossaire
  • Galerie d'images

Galerie d'images

  1. Accueil
  2. Galerie d'images
Genévriers - Rouille (Gymnosporangium sp.)
Genévriers - Rouille (Gymnosporangium sp.)

Genévriers - Rouille

Sur une branche d’un genévrier cultivé en pépinière, présence d’une galle ronde brune mesurant environ 3 cm de diamètre. La galle porte des cornes brunes (télies) d’une rouill...
Image Contenu lié à l’Image
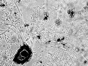
Geotrichum_sp_1
Geotrichum_sp_1

Geotrichum sp.

Image Contenu lié à l’Image
Geotrichum_sp_2
Geotrichum_sp_2

Geotrichum sp.

Image Contenu lié à l’Image
Geotrichum_sp_3
Geotrichum_sp_3

Geotrichum sp.

Image Contenu lié à l’Image
Geotrichum_sp_4
Geotrichum_sp_4

Geotrichum sp.

Image Contenu lié à l’Image
Géraniums - Excès d'eau et d'azote_3
Géraniums - Excès d'eau et d'azote_3

Géraniums - Excès d'eau et d'azote

Comparaison entre une feuille de géranium saine et des feuilles affectées (cv 'Decora Rouge'). Les jeunes feuilles de plantules ont un repli important de la marge, ce qui leur...
Image Contenu lié à l’Image
Géraniums - Excès d'eau et d'azote_1
Géraniums - Excès d'eau et d'azote_1

Géraniums - Excès d'eau et d'azote

Les jeunes feuilles de plantules de géranium (cv 'Decora Rouge') ont un repli important de la marge, ce qui leur confère une apparence de « feuille de persil ». Certaines feui...
Image Contenu lié à l’Image
Géraniums - Excès d'eau et d'azote_2
Géraniums - Excès d'eau et d'azote_2

Géraniums - Excès d'eau et d'azote

Comparaison entre une feuille de géranium saine et affectée (cv 'Decora Rouge'). La jeune feuille de plantules a un repli important de la marge, ce qui lui confère une apparen...
Image Contenu lié à l’Image
Géraniums - imidaclopride (4A)_1
Géraniums - imidaclopride (4A)_1

Géraniums - imidaclopride, INTERCEPT 60 WP

Un plant de géranium montre la présence d’un manchon liégeux finement crevassé entourant ou non un entrenœud souvent localisé vers l’extrémité de la tige. C’est l’avant-dernie...
Image Contenu lié à l’Image
Géraniums - imidaclopride (4A)_2
Géraniums - imidaclopride (4A)_2

Géraniums - imidaclopride, INTERCEPT 60 WP

Un plant de géranium montre la présence d’un manchon liégeux finement crevassé entourant ou non un entrenœud souvent localisé vers l’extrémité de la tige. C’est l’avant-dernie...
Image Contenu lié à l’Image
Géraniums - Luminosité faible_1
Géraniums - Luminosité faible_1

Géraniums - Luminosité faible

Des fleurs de géranium sont avortées et d’aspect brulé. L’avortement des inflorescences est causé par une trop faible luminosité. Les plants de géraniums étaient placés sur de...
Image Contenu lié à l’Image
Géraniums - Moisissure grise (Botrytis cinerea)_1
Géraniums - Moisissure grise (Botrytis cinerea)_1

Géraniums - Moisissure grise

Un plant de géranium montre des feuilles basales jaunes à blanches. Une pourriture humide brune débute à la marge des feuilles affectées et progresse sur le limbe. Les observa...
Image Contenu lié à l’Image
Géraniums - Moisissure grise (Botrytis cinerea)_2
Géraniums - Moisissure grise (Botrytis cinerea)_2

Géraniums - Moisissure grise

Les fleurs et les pédoncules de ce géranium zonal cultivé en serre présentent une pourriture humide, couverte d’un duvet grisâtre à brunâtre. Des spores blanchâtres sont visib...
Image Contenu lié à l’Image
Géraniums - pH bas (acide)_5
Géraniums - pH bas (acide)_5

Géraniums - pH bas (acide)

Un plant de géranium zonal (cv 'Vancouver Centennial') provenant d’une serre montre des feuilles basales avec des brûlures marginales (voir flèches) et un limbe plus foncé (ve...
Image Contenu lié à l’Image
Géraniums - pH bas (acide)_1
Géraniums - pH bas (acide)_1

Géraniums - pH bas (acide)

Les jeunes feuilles de géranium lierre (cv 'Global Sangria') provenant d’une serre présentent une marbrure jaune et vert pâle diffuse à presque complètement jaune. Le reste de...
Image Contenu lié à l’Image
Géraniums - pH bas (acide)_2
Géraniums - pH bas (acide)_2

Géraniums - pH bas (acide)

Les jeunes feuilles de géranium lierre (cv 'Global Sangria') provenant d’une serre présentent une marbrure jaune et vert pâle diffuse à presque complètement jaune. Le reste de...
Image Contenu lié à l’Image
Géraniums - pH bas (acide)_3
Géraniums - pH bas (acide)_3

Géraniums - pH bas (acide)

Un plant de géranium zonal (cv 'Patriot Bright Pink') provenant d’une serre montre de petites taches jaunes diffuses réparties principalement entre les nervures des feuilles b...
Image Contenu lié à l’Image
Géraniums - pH bas (acide)_4
Géraniums - pH bas (acide)_4

Géraniums - pH bas (acide)

Un plant de géranium zonal provenant d’une serre montre de petites taches beiges et sèches entre les nervures. Elles sont plus abondantes sur les vieilles feuilles et leur qua...
Image Contenu lié à l’Image
Géraniums - Rouille du pélargonium (Puccinia pelargonii-zonalis)_1
Géraniums - Rouille du pélargonium (Puccinia pelargonii-zonalis)_1

Géraniums - Rouille du pélargonium

À la face supérieure d’une feuille de géranium, présence de petites taches circulaires vert pâle à jaunes. Vis-à-vis chacune des taches, il y a une tache circulaire vert pâle ...
Image Contenu lié à l’Image
Géraniums - Rouille du pélargonium (Puccinia pelargonii-zonalis)_2
Géraniums - Rouille du pélargonium (Puccinia pelargonii-zonalis)_2

Géraniums - Rouille du pélargonium

À la face inférieure d’une feuille de géranium, présence de petites taches circulaires vert pâle contenant des pustules (urédies) brunâtres. Les pustules contiennent des urédo...
Image Contenu lié à l’Image
Géraniums - Rouille du pélargonium (Puccinia pelargonii-zonalis)_3
Géraniums - Rouille du pélargonium (Puccinia pelargonii-zonalis)_3

Géraniums - Rouille du pélargonium

À la face supérieure d’une feuille de géranium, présence de petites taches circulaires jaunes. Vis-à-vis chacune des taches, il y a une tache circulaire jaune contenant des pu...
Image Contenu lié à l’Image
Géraniums - Rouille du pélargonium (Puccinia pelargonii-zonalis)_4
Géraniums - Rouille du pélargonium (Puccinia pelargonii-zonalis)_4

Géraniums - Rouille du pélargonium

À la face inférieure d’une feuille de géranium, présence de petites taches circulaires jaunes contenant des pustules (urédies) brunâtres. Les pustules contiennent les urédospo...
Image Contenu lié à l’Image
Géraniums - Rouille du pélargonium (Puccinia pelargonii-zonalis)_5
Géraniums - Rouille du pélargonium (Puccinia pelargonii-zonalis)_5

Géraniums - Rouille du pélargonium

À la face inférieure d’une feuille de géranium, présence de petites taches circulaires jaunes contenant des pustules (urédies) brunâtres. Les pustules contiennent les urédospo...
Image Contenu lié à l’Image
Géraniums - Rouille du pélargonium (Puccinia pelargonii-zonalis)_6
Géraniums - Rouille du pélargonium (Puccinia pelargonii-zonalis)_6

Géraniums - Rouille du pélargonium

À la face supérieure d’une feuille de géranium, présence de petites taches circulaires jaunes. Vis-à-vis chacune des taches, il y a une tache circulaire jaune contenant des pu...
Image Contenu lié à l’Image
Géraniums - Rouille du pélargonium (Puccinia pelargonii-zonalis)_7
Géraniums - Rouille du pélargonium (Puccinia pelargonii-zonalis)_7

Géraniums - Rouille du pélargonium

À la face supérieure des feuilles de géranium, présence de petites taches circulaires jaunes. Vis-à-vis chacune des taches, il y a une tache circulaire jaune contenant des pus...
Image Contenu lié à l’Image
Géraniums - Salinité élevée_1
Géraniums - Salinité élevée_1

Géraniums - Salinité élevée

Sur un géranium zonal cultivé en serre, la marge des feuilles basales est jaunie et brûlée. Le limbe de quelques feuilles est déformé. Les nouvelles feuilles sont sans symptôm...
Image Contenu lié à l’Image
Géraniums - Température élevée de l'air (stress de chaleur)_1
Géraniums - Température élevée de l'air (stress de chaleur)_1

Géraniums - Température élevée de l'air (stress de chaleur)

Un géranium lierre montre un jaunissement des jeunes feuilles. Ce plant était placé vis-à-vis la sortie d'air chaud d'une fournaise à air chaud. Seuls les plants situés à prox...
Image Contenu lié à l’Image
Géraniums - Virus de l'éclaircissement des nervures du pélargonium (PVCV)_7
Géraniums - Virus de l'éclaircissement des nervures du pélargonium (PVCV)_7

Géraniums - Virus de l'éclaircissement des nervures du pélargonium

Des feuilles de géranium montrent un jaunissement ou un blanchiment important des nervures principales et secondaires. Le symptôme prend la forme d’un réseau de nervures clair...
Image Contenu lié à l’Image
Géraniums - Virus de l'éclaircissement des nervures du pélargonium (PVCV)_1
Géraniums - Virus de l'éclaircissement des nervures du pélargonium (PVCV)_1

Géraniums - Virus de l'éclaircissement des nervures du pélargonium

La face supérieure d’une feuille de géranium montre un jaunissement important des nervures principales et secondaires. Le symptôme prend la forme d’un réseau de nervures clair...
Image Contenu lié à l’Image
Géraniums - Virus de l'éclaircissement des nervures du pélargonium (PVCV)_8
Géraniums - Virus de l'éclaircissement des nervures du pélargonium (PVCV)_8

Géraniums - Virus de l'éclaircissement des nervures du pélargonium

Un plant de géranium montre des feuilles avec un jaunissement ou un blanchiment important des nervures principales et secondaires. Le symptôme prend la forme d’un réseau de ne...
Image Contenu lié à l’Image
Géraniums - Virus de l'éclaircissement des nervures du pélargonium (PVCV)_2
Géraniums - Virus de l'éclaircissement des nervures du pélargonium (PVCV)_2

Géraniums - Virus de l'éclaircissement des nervures du pélargonium

La face inférieure d’une feuille de géranium montre un jaunissement important des nervures principales et secondaires. Le symptôme prend la forme d’un réseau de nervures clair...
Image Contenu lié à l’Image
Géraniums - Virus de l'éclaircissement des nervures du pélargonium (PVCV)_3
Géraniums - Virus de l'éclaircissement des nervures du pélargonium (PVCV)_3

Géraniums - Virus de l'éclaircissement des nervures du pélargonium

Comparaison entre une feuille de géranium saine et affectée. La feuille affectée montre un jaunissement ou un blanchiment important des nervures principales et secondaires. Le...
Image Contenu lié à l’Image
  • Afficher plus
Logo IRIIS
L’outil IRIIS est enrichi par le MAPAQ
et ses collaborateurs
Liens 

 À propos
 Fournir des images
 Crédits photo
 Glossaire
 Conditions d'utilisation
 Admin

Contact 

Téléphone : 418 523-5411
Sans frais : 1 888 535-2537
Télécopieur : 418 644-5944
Courriel : iriisphytoprotection@craaq.qc.ca

Adresse 

Édifice Delta 1
2875, boulevard Laurier, 9e étage

Québec (Québec) G1V 2M2
Canada

Propulsé par craaq

Ce site est optimisé pour Mozilla Firefox et Google Chrome

© CRAAQ, 2023 Tous droits réservés

       
sfy39587stp18
Drupal 9 Appliance - Powered by TurnKey Linux