Aller au contenu principal
Accueil
Toggle menu
Me connecter
  • Accueil
  • Rechercher
    • Symptômes et dommages sur les plantes
    • Culture
    • Insectes et autres invertébrés
    • Mauvaises herbes et autres plantes
    • Virus et viroïdes
    • Champignons
    • Nématodes
    • Bactéries et phytoplasmes
  • Identifier
  • Glossaire
  • Galerie d'images

Galerie d'images

  1. Accueil
  2. Galerie d'images
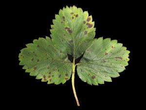
Fraise - Tache foliaire (Zythia fragariae)
Fraise - Tache foliaire (Zythia fragariae)

Fraise - Tache foliaire

Sur des feuilles de fraisier, on observe des taches de couleur bronze au pourtour violacé et de forme irrégulière. La majorité des taches semble avoir progressé à partir de la...
Image Contenu lié à l’Image
Fraise - Tache foliaire (Zythia fragariae)
Fraise - Tache foliaire (Zythia fragariae)

Fraise - Tache foliaire

Une tache suivant partiellement la nervure centrale s’agrandit et forme une plage brunie sur la feuille. Les taches brunes affectant la marge de la feuille sont aussi causées ...
Image Contenu lié à l’Image
Fraise - Tache foliaire (Zythia fragariae)
Fraise - Tache foliaire (Zythia fragariae)

Fraise - Tache foliaire

Sur la foliole d’un fraisier, présence de taches beiges avec un pourtour plus foncé et de forme irrégulière. Les tests de laboratoire ont révélé la présence de Zythia sp., res...
Image Contenu lié à l’Image
Fraise - Tache pourpre (Marssonina fragariae)_5
Fraise - Tache pourpre (Marssonina fragariae)_5

Fraise - Tache pourpre

Sur le fruit (cv 'Kent'), les sépales présentent des brûlures ayant une apparence sèche pouvant affecter l'apex ou toute la surface des sépales (voir flèche). Ces brûlures son...
Image Contenu lié à l’Image
Fraise - Tache pourpre (Marssonina fragariae)_1
Fraise - Tache pourpre (Marssonina fragariae)_1

Fraise - Tache pourpre

À la face supérieure des folioles de fraisier, présence de taches irrégulières pourpres avec un centre brunâtre. Les taches sont réparties aléatoirement sur le limbe. Ce sympt...
Image Contenu lié à l’Image
Fraise - Tache pourpre (Marssonina fragariae)_2
Fraise - Tache pourpre (Marssonina fragariae)_2

Fraise - Tache pourpre

À la face supérieure des folioles de fraisier, présence de taches irrégulières pourpres avec un centre brunâtre. Les taches sont réparties aléatoirement sur le limbe. Ce sympt...
Image Contenu lié à l’Image
Fraise - Tache pourpre (Marssonina fragariae)_3
Fraise - Tache pourpre (Marssonina fragariae)_3

Fraise - Tache pourpre

À la face supérieure des folioles de fraisier, présence de taches irrégulières complètement pourpres. Les taches sont réparties aléatoirement sur le limbe. Les tests de labora...
Image Contenu lié à l’Image
Fraise - Tache pourpre (Marssonina fragariae)_4
Fraise - Tache pourpre (Marssonina fragariae)_4

Fraise - Tache pourpre

À la face supérieure d’une foliole de fraisier, présence de taches irrégulières complètement pourpres. Les taches sont réparties aléatoirement sur le limbe. Les tests de labor...
Image Contenu lié à l’Image

Fraise - Tarsonème du fraisier

Face supérieure d'une feuille de fraisier présentant des dommages causés par l'alimentation de tarsonèmes du fraisier. Ces acariens s'attaquent d'abord aux jeunes feuilles au ...
Image Contenu lié à l’Image

Fraise - Tarsonème du fraisier

Feuillages de fraisier présentant des dommages causés par l'alimentation de tarsonèmes du fraisier. Ces acariens s'attaquent d'abord aux jeunes feuilles au coeur du plant. En ...
Image Contenu lié à l’Image
Fraise - Tarsonème du fraisier (Phytonemus pallidus)_1
Fraise - Tarsonème du fraisier (Phytonemus pallidus)_1

Fraise - Tarsonème du fraisier

Image Contenu lié à l’Image

Fraise - Tarsonème du fraisier

Fleurs de fraisier présentant des dommages causés par l'alimentation de tarsonèmes du fraisier. Les fleurs avortent et prennent une coloration brunâtre alors que les sépales f...
Image Contenu lié à l’Image

Fraise - Tarsonème du fraisier

Feuillages de fraisier présentant des dommages causés par l'alimentation de tarsonèmes du fraisier. Ces acariens s'attaquent d'abord aux jeunes feuilles au coeur du plant. En ...
Image Contenu lié à l’Image
Fraise - Température élevée et ensoleillement intense
Fraise - Température élevée et ensoleillement intense

Fraise - Température élevée et ensoleillement intense

Les feuilles de fraisier sont affectées par de nombreuses et minuscules taches blanchâtres à jaunâtres. Elles sont généralement plus nombreuses sur la moitié supérieure des fo...
Image Contenu lié à l’Image
Fraise - Température élevée et ensoleillement intense
Fraise - Température élevée et ensoleillement intense

Fraise - Température élevée et ensoleillement intense

La feuille de fraisier présente du jaunissement entre les nervures sur la moitié supérieure des folioles comparativement à leur partie basale. Le jaunissement n’est apparent q...
Image Contenu lié à l’Image
Fraise - Température élevée et ensoleillement intense
Fraise - Température élevée et ensoleillement intense

Fraise - Température élevée et ensoleillement intense

Les feuilles de fraisier (cv 'Cavendish') sont affectées par de nombreuses et minuscules taches blanchâtres à jaunâtres. Elles sont généralement plus nombreuses sur la moitié ...
Image Contenu lié à l’Image
Fraise - Température élevée et ensoleillement intense
Fraise - Température élevée et ensoleillement intense

Fraise - Température élevée et ensoleillement intense

Les feuilles de fraisier sont affectées par de nombreuses et minuscules taches blanchâtres à jaunâtres. Elles sont généralement plus nombreuses sur la moitié supérieure des fo...
Image Contenu lié à l’Image
Fraise - Température élevée et ensoleillement intense
Fraise - Température élevée et ensoleillement intense

Fraise - Température élevée et ensoleillement intense

Les feuilles de fraisier sont affectées par de nombreuses et minuscules taches blanchâtres à jaunâtres. Elles sont généralement plus nombreuses sur la moitié supérieure des fo...
Image Contenu lié à l’Image
Fraise - Température élevée et ensoleillement intense
Fraise - Température élevée et ensoleillement intense

Fraise - Température élevée et ensoleillement intense

La jeune feuille de fraisier est affectée par de nombreuses et minuscules taches blanchâtres à jaunâtres. Les taches sont si nombreuses que l'ensemble du limbe paraît affecté....
Image Contenu lié à l’Image
Fraise - Température élevée et ensoleillement intense
Fraise - Température élevée et ensoleillement intense

Fraise - Température élevée et ensoleillement intense

La jeune feuille de fraisier est affectée par de nombreuses et minuscules taches blanchâtres à jaunâtres. Les taches sont si nombreuses que l'ensemble du limbe paraît affecté....
Image Contenu lié à l’Image
Fraise - terbacil (5)_4
Fraise - terbacil (5)_4

Fraise - terbacil, SINBAR

Le premier symptôme observé sur les feuilles de fraisier est un jaunissement entre les nervures, suivi d’un brunissement et d’une brûlure. Les symptômes débutent à l’apex et à...
Image Contenu lié à l’Image
Fraise - terbacil (5)_11
Fraise - terbacil (5)_11

Fraise - terbacil, SINBAR

Des feuilles de fraisier du cv « Jewel » présentent d'importantes brûlures (feuille de droite) ainsi qu’un jaunissement à rosissement des nervures. Ces symptômes sont causés p...
Image Contenu lié à l’Image
Fraise - terbacil (5)_8
Fraise - terbacil (5)_8

Fraise - terbacil, SINBAR

Une feuille de fraisier du cv « Jewel » présente un début de jaunissement des nervures ainsi que des brûlures à la marge des folioles. Ces symptômes sont caractéristiques d’un...
Image Contenu lié à l’Image
Fraise - terbacil (5)_5
Fraise - terbacil (5)_5

Fraise - terbacil, SINBAR

Les premiers symptômes observés sur les feuilles de fraisier (cv ‘Redcoat’) sont un jaunissement entre les nervures, suivi d’un brunissement et d’une brûlure. Les symptômes dé...
Image Contenu lié à l’Image
Fraise - terbacil (5)_6
Fraise - terbacil (5)_6

Fraise - terbacil, SINBAR

Les premiers symptômes observés sur les feuilles de fraisier (cv ‘Redcoat’) sont un jaunissement entre les nervures, suivi d’un brunissement et d’une brûlure. Les symptômes dé...
Image Contenu lié à l’Image
Fraise - terbacil (5)_12
Fraise - terbacil (5)_12

Fraise - terbacil, SINBAR

Une feuille de fraisier du cv « Jewel » présente des brûlures importantes sur les feuilles, qui débutent à l’apex et à la marge des feuilles puis progressent sur le limbe. Ces...
Image Contenu lié à l’Image
Fraise - terbacil (5)_9
Fraise - terbacil (5)_9

Fraise - terbacil, SINBAR

Un plant de fraisier du cv « Jewel » présente un jaunissement des nervures sur quelques feuilles, ainsi que des brûlures importantes, qui débutent à l’apex et à la marge des f...
Image Contenu lié à l’Image
Fraise - terbacil (5)_7
Fraise - terbacil (5)_7

Fraise - terbacil, SINBAR

Les premiers symptômes observés sur les feuilles de fraisier (cv 'Annapolis') sont un jaunissement entre les nervures, suivi d’un brunissement et d’une brûlure. Les symptômes ...
Image Contenu lié à l’Image
Fraise - terbacil (5)_1
Fraise - terbacil (5)_1

Fraise - terbacil, SINBAR

Le premier symptôme observé sur les feuilles de fraisier est un jaunissement entre les nervures, suivi d’un brunissement et d’une brûlure. Les symptômes débutent à l’apex et à...
Image Contenu lié à l’Image
Fraise - terbacil (5)_2
Fraise - terbacil (5)_2

Fraise - terbacil, SINBAR

Le premier symptôme observé sur les feuilles de fraisier est un jaunissement entre les nervures, suivi d’un brunissement et d’une brûlure. Les symptômes débutent à l’apex et à...
Image Contenu lié à l’Image
Fraise - terbacil (5)_10
Fraise - terbacil (5)_10

Fraise - terbacil, SINBAR

Une feuille de fraisier du cv « Jewel » présente des brûlures sur les feuilles ainsi qu’un jaunissement à un rosissement des nervures. Ces symptômes sont causés par le terbaci...
Image Contenu lié à l’Image
Fraise - terbacil (5)_3
Fraise - terbacil (5)_3

Fraise - terbacil, SINBAR

Le premier symptôme observé sur les feuilles de fraisier est un jaunissement entre les nervures, suivi d’un brunissement et d’une brûlure. Les symptômes débutent à l’apex et à...
Image Contenu lié à l’Image
  • Afficher plus
Logo IRIIS
L’outil IRIIS est enrichi par le MAPAQ
et ses collaborateurs
Liens 

 À propos
 Fournir des images
 Crédits photo
 Glossaire
 Conditions d'utilisation
 Admin

Contact 

Téléphone : 418 523-5411
Sans frais : 1 888 535-2537
Télécopieur : 418 644-5944
Courriel : iriisphytoprotection@craaq.qc.ca

Adresse 

Édifice Delta 1
2875, boulevard Laurier, 9e étage

Québec (Québec) G1V 2M2
Canada

Propulsé par craaq

Ce site est optimisé pour Mozilla Firefox et Google Chrome

© CRAAQ, 2023 Tous droits réservés

       
sfy39587stp18
Drupal 9 Appliance - Powered by TurnKey Linux